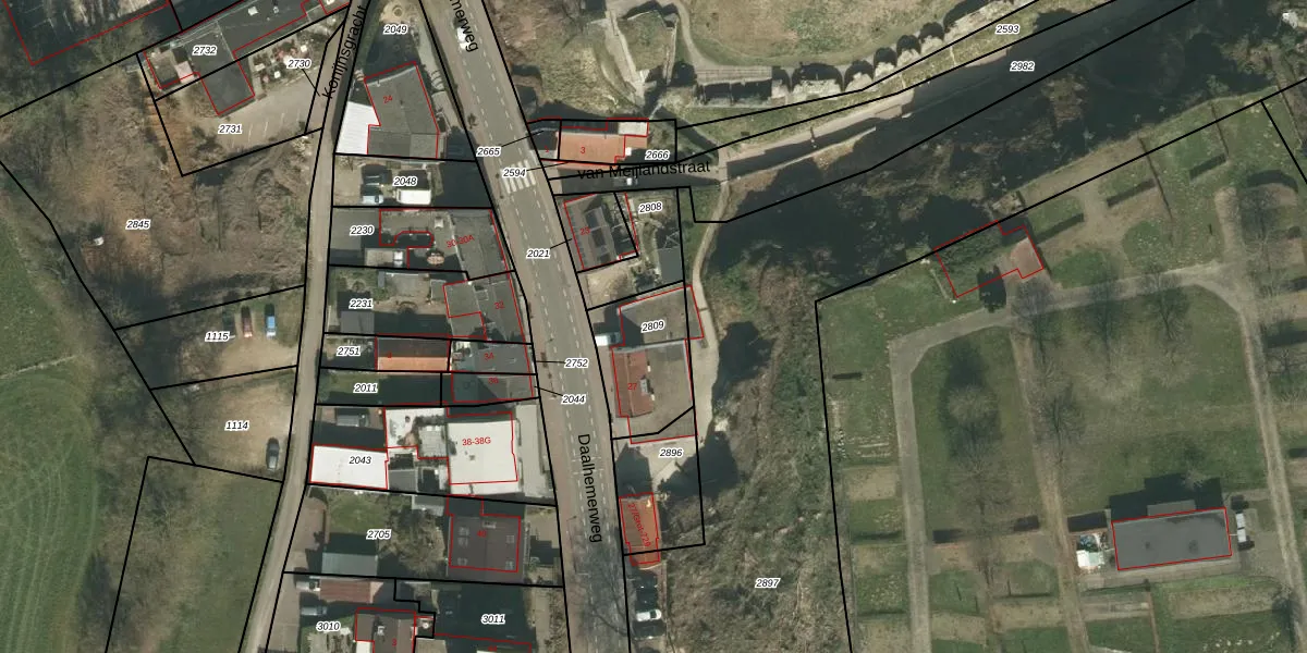
Perceel: VKB03-C-2809
KadastraleKaart.com kan meer dan je denktOntdek meer ›
Filter op bestemming 50+ datasets Eigendomsdata in één klik Percelen CRM
290 m2 - 69 m
Eigenaar opvragen
VKB03-C-2809 (Oud-Valkenburg)
- 6301 BJ
t6SbmVp XNvXKUVMvbgVUUpgrade naar KadastraleKaart Pro
Bekijk op Street View
Download DWG/DXF/Excel
ExL6CBLzUpgrade naar KadastraleKaart Pro
LkB5TY2TlUpgrade naar KadastraleKaart Pro
yMxIi64bUdkUpgrade naar KadastraleKaart Pro
uYfckW6p6ZTBygN7Upgrade naar KadastraleKaart Pro
sHRwsm1OnVI9r5X4O5Upgrade naar KadastraleKaart Pro
mkNant 1xPdgcpSM6QsvdfqUpgrade naar KadastraleKaart Pro
bg3SrjHBWj4AW7UmG Upgrade naar KadastraleKaart Pro
aqSkttSAbOw wrgUpgrade naar KadastraleKaart Pro
F7lAN xQ EtA1Upgrade naar KadastraleKaart Pro
iJ1tT3Hz3Upgrade naar KadastraleKaart Pro
20/10/2021

Percelen
Gebruik de zoekbalk of klik op een perceel om informatie over het perceel te bekijken.