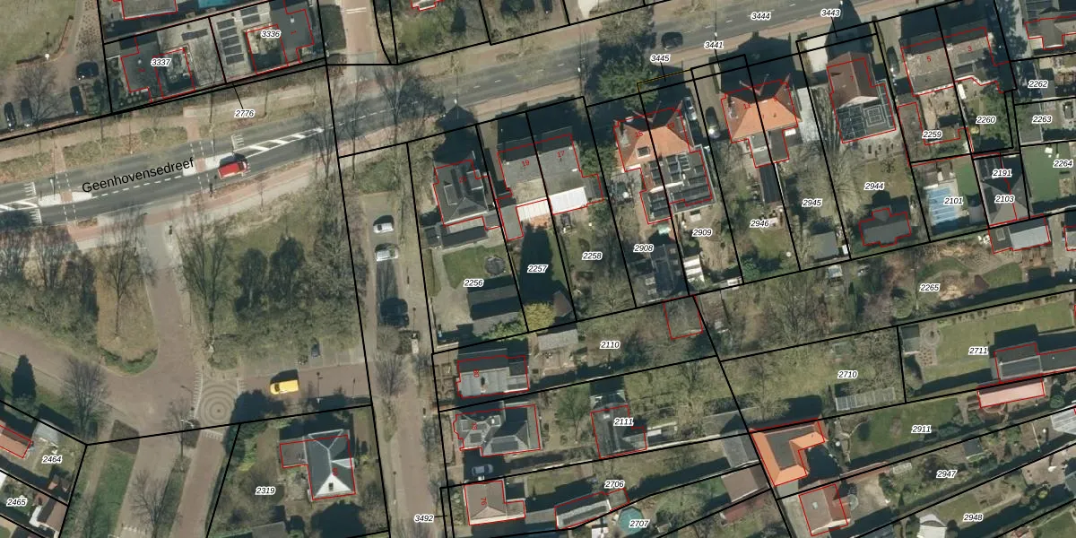
Perceel: VKW00-A-2257
KadastraleKaart.com kan meer dan je denktOntdek meer ›
Filter op bestemming 50+ datasets Eigendomsdata in één klik Percelen CRM
374 m2 - 99 m
Eigenaar opvragen
VKW00-A-2257 (Valkenswaard)
- 5552 BA
4sUJL1TtE3jh5xlV8 Ki7KbMjS9RW Upgrade naar KadastraleKaart Pro
Bekijk op Street View
Download DWG/DXF/Excel
lqJeHMbQUpgrade naar KadastraleKaart Pro
zMwFGV vmEA9 VRPUpgrade naar KadastraleKaart Pro
GQLvdL RYtChTUHlWUpgrade naar KadastraleKaart Pro
VD1tEEH2ec yUpgrade naar KadastraleKaart Pro
MvtkeWh2TungFEkE oUpgrade naar KadastraleKaart Pro
fQVVNMw g 66dKcUpgrade naar KadastraleKaart Pro
MVj5hVrhCQqbiyUQ7UUpgrade naar KadastraleKaart Pro
O iu tkX20Tkjvu7Upgrade naar KadastraleKaart Pro
1O0JGVn2x4gXeUpgrade naar KadastraleKaart Pro
q RIpEhTircTYZ h Upgrade naar KadastraleKaart Pro
08/03/2005

Percelen
Gebruik de zoekbalk of klik op een perceel om informatie over het perceel te bekijken.