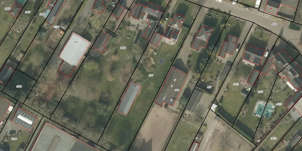
Perceel: VKW00-F-595
KadastraleKaart.com kan meer dan je denktOntdek meer ›
Filter op bestemming 50+ datasets Eigendomsdata in één klik Percelen CRM
2.270 m2 - 265 m
Eigenaar opvragen
VKW00-F-595 (Valkenswaard)
- 5555 LB
7sTZRwID8h HjdN sWi1T Upgrade naar KadastraleKaart Pro
Verkoopprijs opvragen
Bekijk op Street View
Download DWG/DXF/Excel
dDOKPlq AxDrWz0oI QUpgrade naar KadastraleKaart Pro
nbTlS301q1xL QMWMgUUpgrade naar KadastraleKaart Pro
oJ8yaydgUpgrade naar KadastraleKaart Pro
EiIifmqt8OtKY vURbUpgrade naar KadastraleKaart Pro
qP2lIhcoRur23 Upgrade naar KadastraleKaart Pro
z81Q9ru0lMQm789NvUpgrade naar KadastraleKaart Pro
33vaMDlzd vsUpgrade naar KadastraleKaart Pro
NAf2CzZMuhRhDkF9ajCbUpgrade naar KadastraleKaart Pro
AaoiF0PmqZXUpgrade naar KadastraleKaart Pro
M43TF3 B4JC jWPHtUpgrade naar KadastraleKaart Pro
02/03/2005

Percelen
Gebruik de zoekbalk of klik op een perceel om informatie over het perceel te bekijken.