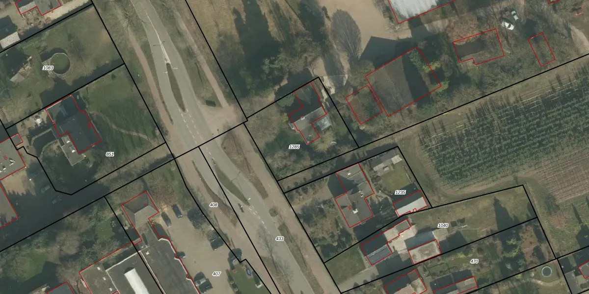
Perceel: VLB00-G-1285
765 m2 - 111 m
Eigenaar opvragen
VLB00-G-1285 (Vierlingsbeek)
- 5823 AB
7hH 0IITlavuIbn G iXJZgUpgrade naar KadastraleKaart Pro
Verkoopprijs opvragen
Bekijk op Street View
Download DWG/DXF/Excel
euZv3cgbl7X70R JUpgrade naar KadastraleKaart Pro
KCrXD69IH3n H4JlyxSWuH Upgrade naar KadastraleKaart Pro
CaYpv5m4kO MUpgrade naar KadastraleKaart Pro
kBEXcF6 m Upgrade naar KadastraleKaart Pro
p1TMNU9jaUpgrade naar KadastraleKaart Pro
J FVXGXgSPT9soEVUpgrade naar KadastraleKaart Pro
QdCJAKSo yE3BAcFQ3wBaUpgrade naar KadastraleKaart Pro
KAGjom QAnK4k1Upgrade naar KadastraleKaart Pro
GUZxokdbLW f5lUpgrade naar KadastraleKaart Pro
U2XNaEuOcRZUpgrade naar KadastraleKaart Pro
17/12/2007

Percelen
Gebruik de zoekbalk of klik op een perceel om informatie over het perceel te bekijken.