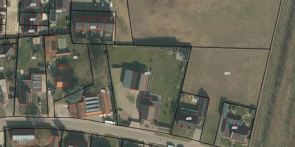
Perceel: VLB00-G-1564
2.747 m2 - 212 m
Eigenaar opvragen
VLB00-G-1564 (Vierlingsbeek)
- 5824 AB
z6hdbewI WN wxxHAaUpgrade naar KadastraleKaart Pro
Verkoopprijs opvragen
Bekijk op Street View
Download DWG/DXF/Excel
DfeRzfih oBmUpgrade naar KadastraleKaart Pro
we0ZSgiZ5Upgrade naar KadastraleKaart Pro
dChdoghyLV0 od9BWkUpgrade naar KadastraleKaart Pro
5 gidlI TgZzbCRMUpgrade naar KadastraleKaart Pro
7mGXPUZRF2tSC UnhURPBKjUpgrade naar KadastraleKaart Pro
QB3YEHD6qwAOlAbQZUpgrade naar KadastraleKaart Pro
UM5fxu0SxDOFOtezcf Upgrade naar KadastraleKaart Pro
mHFxx5b94iT5cvBUpgrade naar KadastraleKaart Pro
bJIwOWCfUpgrade naar KadastraleKaart Pro
bMsAjpAo1yqjaEyIhAUpgrade naar KadastraleKaart Pro
23/08/2018

Percelen
Gebruik de zoekbalk of klik op een perceel om informatie over het perceel te bekijken.