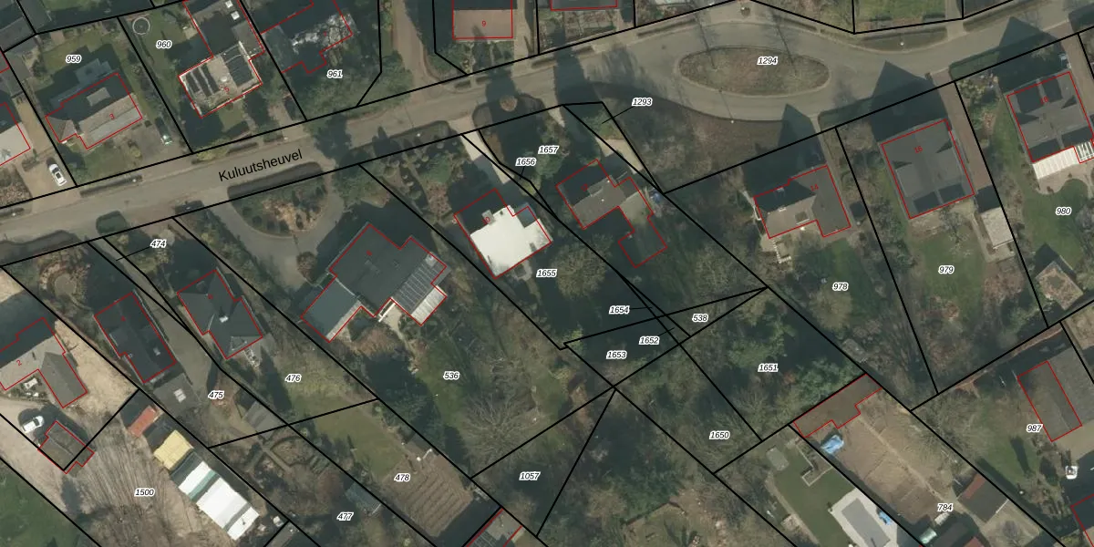
Perceel: VLB00-I-1655
821 m2 - 139 m
Eigenaar opvragen
VLB00-I-1655 (Vierlingsbeek)
- 5825 BE
qLwYY3XK83Zkli SBhusSDCUpgrade naar KadastraleKaart Pro
Bekijk op Street View
Download DWG/DXF/Excel
2XIhrsTGX pUpgrade naar KadastraleKaart Pro
3NRDPk2 Upgrade naar KadastraleKaart Pro
xFmXa 7VYUpgrade naar KadastraleKaart Pro
B X IzUE2fevUpgrade naar KadastraleKaart Pro
yok3rvRv2V59Jc3XUpgrade naar KadastraleKaart Pro
W9PwbvnW uEuVRQooxqUpgrade naar KadastraleKaart Pro
bgQsFTk1FryxUpgrade naar KadastraleKaart Pro
PM3yTor bwUpgrade naar KadastraleKaart Pro
uPq8lKyOaO6Upgrade naar KadastraleKaart Pro
tK3uyiJbHvBAMhfSUpgrade naar KadastraleKaart Pro
15/01/2026

Percelen
Gebruik de zoekbalk of klik op een perceel om informatie over het perceel te bekijken.