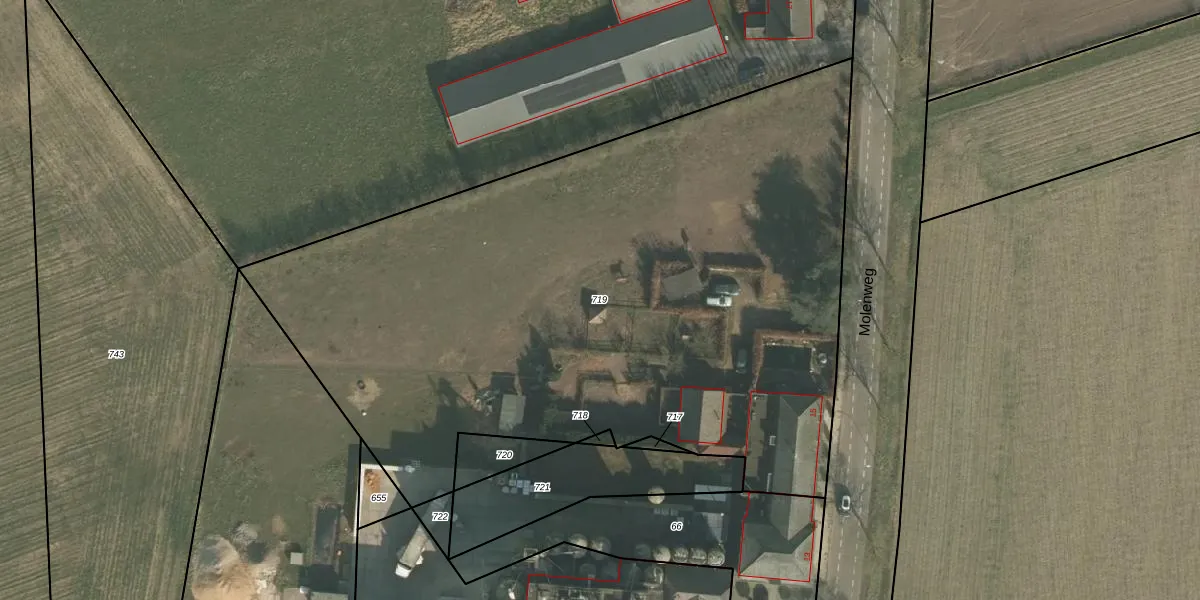
Perceel: VLB00-M-719
KadastraleKaart.com kan meer dan je denktOntdek meer ›
Filter op bestemming 50+ datasets Eigendomsdata in één klik Percelen CRM
4.587 m2 - 320 m
Eigenaar opvragen
VLB00-M-719 (Vierlingsbeek)
- 5821 EA
Xw4roO8TGLXY lFyFyAStbUpgrade naar KadastraleKaart Pro
Verkoopprijs opvragen
Bekijk op Street View
Download DWG/DXF/Excel
A2Q HZo677 Bieoa6g K Upgrade naar KadastraleKaart Pro
XffswykPC84UqLKSLHkfPUpgrade naar KadastraleKaart Pro
IszKWP O jUUpgrade naar KadastraleKaart Pro
k LKUIww 1tsUpgrade naar KadastraleKaart Pro
bzDpGKgslgc Qr LSD xlslUpgrade naar KadastraleKaart Pro
4LE hWbz0vY8fFOAyZRjUpgrade naar KadastraleKaart Pro
VJTOG KQ2rx5OgiNEG0WGUpgrade naar KadastraleKaart Pro
Ap8v 9mjBduMUpgrade naar KadastraleKaart Pro
KRVvi 73Upgrade naar KadastraleKaart Pro
OytJKECq3Upgrade naar KadastraleKaart Pro
11/06/2018

Percelen
Gebruik de zoekbalk of klik op een perceel om informatie over het perceel te bekijken.