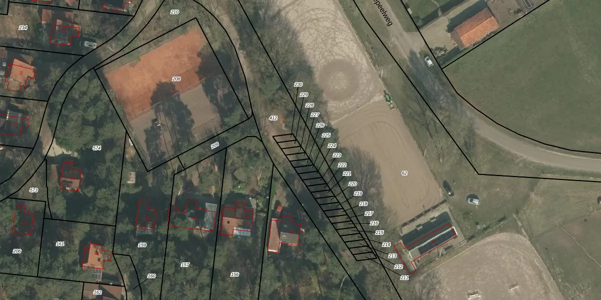
Perceel: VLB00-U-228
KadastraleKaart.com kan meer dan je denktOntdek meer ›
Filter op bestemming 50+ datasets Eigendomsdata in één klik Percelen CRM
Geen adressen bij dit perceel
15 m2 - 18 m
Eigenaar opvragen
VLB00-U-228 (Vierlingsbeek)
- Geen postcode aanwezig
kmLXC09C5Q2IhR8Kq y T8ZMnL Upgrade naar KadastraleKaart Pro
Bekijk op Street View
Download DWG/DXF/Excel
Xr 0DfU2PUpgrade naar KadastraleKaart Pro
I H28JGyn rbjGLF01UaACUpgrade naar KadastraleKaart Pro
4qVoGLXm4 xUpgrade naar KadastraleKaart Pro
217zw6b4crRJIgY9icUpgrade naar KadastraleKaart Pro
aH1NxNtBzMWeJRlVcUpgrade naar KadastraleKaart Pro
tISZSVFHJtX6 Upgrade naar KadastraleKaart Pro
QXIf8uMD5cujCA DQOAIAUpgrade naar KadastraleKaart Pro
wuNw7kLEUuKSUpgrade naar KadastraleKaart Pro
2PLpF3vn8mCuUNSjUpgrade naar KadastraleKaart Pro
LvH IADUSEr kz3BKr vdUpgrade naar KadastraleKaart Pro
25/04/2007

Percelen
Gebruik de zoekbalk of klik op een perceel om informatie over het perceel te bekijken.