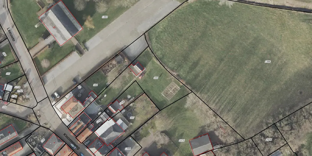
Perceel: VLH00-L-165
KadastraleKaart.com kan meer dan je denktOntdek meer ›
Filter op bestemming 50+ datasets Eigendomsdata in één klik Percelen CRM
1.290 m2 - 224 m
Eigenaar opvragen
VLH00-L-165 (Vollenhove)
- 8326 CA
LGN VOoc 2OJeokn8HPwNBW4XWdcAUpgrade naar KadastraleKaart Pro
Verkoopprijs opvragen
Bekijk op Street View
Download DWG/DXF/Excel
7WbHMQn45062Xq6z UvwCGUpgrade naar KadastraleKaart Pro
9cPU1hA7R8OUpgrade naar KadastraleKaart Pro
V4BT46 4OVH4Za5J7 maQpUpgrade naar KadastraleKaart Pro
4qNePJrcUpgrade naar KadastraleKaart Pro
A rQO4yZ4a4 8Ws6 W3Upgrade naar KadastraleKaart Pro
myqb7bHot PoBnQ7zUpgrade naar KadastraleKaart Pro
Nq4nxy7 hsaUpgrade naar KadastraleKaart Pro
fEwnzFoTxUpgrade naar KadastraleKaart Pro
LkY0YOx3TevSd Upgrade naar KadastraleKaart Pro
nJ63PXkyOEs6Uojp5VmUpgrade naar KadastraleKaart Pro
31/01/2002

Percelen
Gebruik de zoekbalk of klik op een perceel om informatie over het perceel te bekijken.