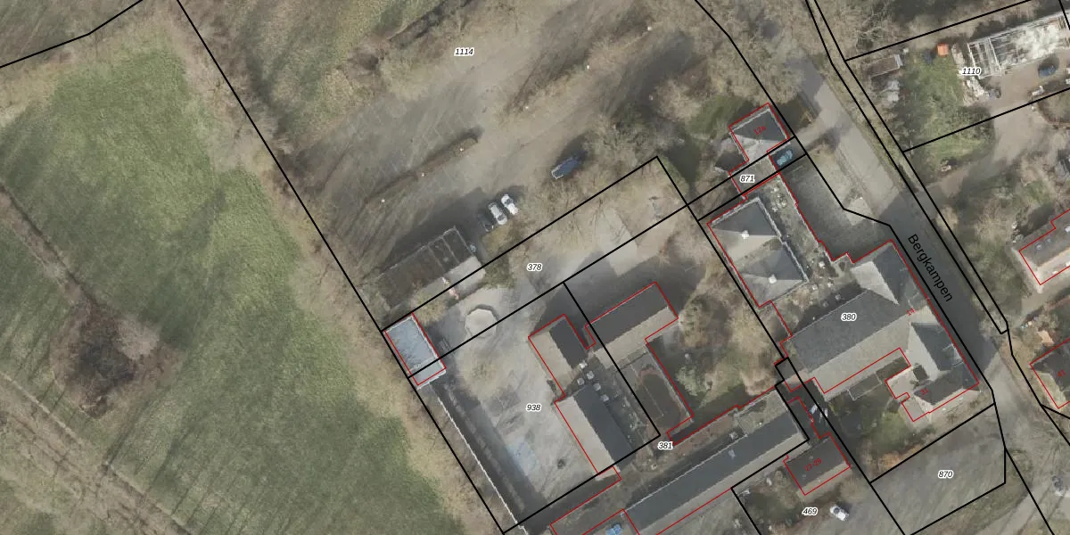
Perceel: VLH00-N-378
KadastraleKaart.com kan meer dan je denktOntdek meer ›
Filter op bestemming 50+ datasets Eigendomsdata in één klik Percelen CRM
Geen adressen bij dit perceel
645 m2 - 143 m
Eigenaar opvragen
VLH00-N-378 (Vollenhove)
- Geen postcode aanwezig
E fuqirmkOcfjbhoz5QsUpgrade naar KadastraleKaart Pro
Bekijk op Street View
Download DWG/DXF/Excel
gi29L5m 5zojjj56f8FQuUpgrade naar KadastraleKaart Pro
W4 tFieg4Upgrade naar KadastraleKaart Pro
7y0a fW0iUpgrade naar KadastraleKaart Pro
kqqKFQh8Fk0bUpgrade naar KadastraleKaart Pro
Uvhoe4xJsoxXjiUpgrade naar KadastraleKaart Pro
84ui9bJZJFqxVUpgrade naar KadastraleKaart Pro
XCSxma GdUpgrade naar KadastraleKaart Pro
FYX0G9J2gU kNv dUpgrade naar KadastraleKaart Pro
mC78cA50HpUpgrade naar KadastraleKaart Pro
gzg r 1YpeB5NwfYv gDUpgrade naar KadastraleKaart Pro
10/12/2022

Percelen
Gebruik de zoekbalk of klik op een perceel om informatie over het perceel te bekijken.