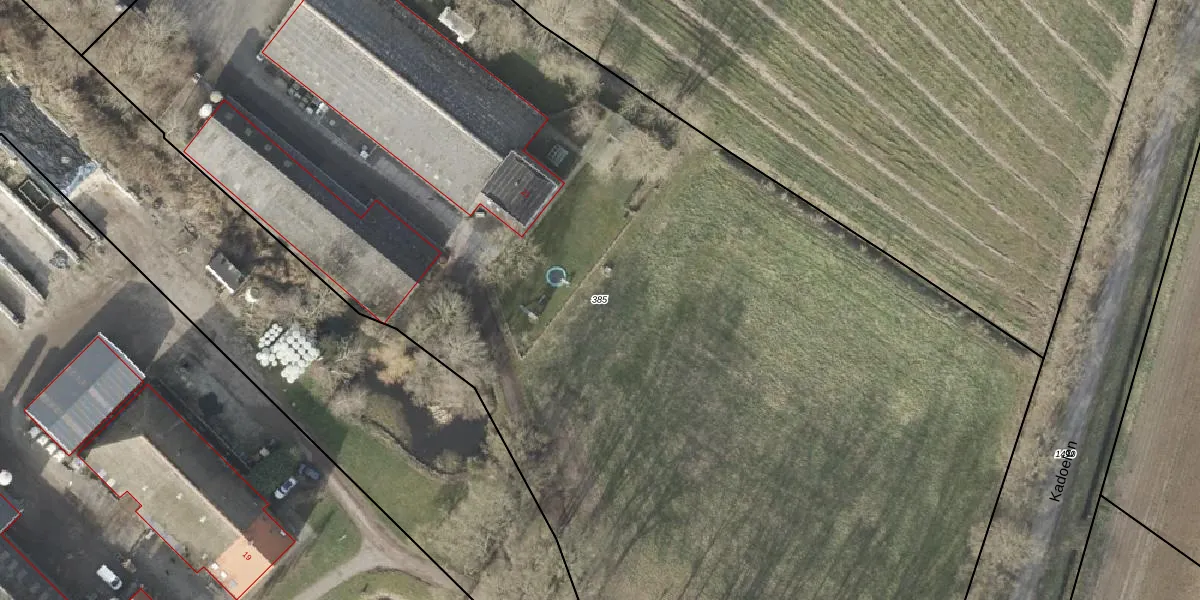
Perceel: VLH00-N-385
KadastraleKaart.com kan meer dan je denktOntdek meer ›
Filter op bestemming 50+ datasets Eigendomsdata in één klik Percelen CRM
10.820 m2 - 475 m
Eigenaar opvragen
VLH00-N-385 (Vollenhove)
- 8326 BA
vqjznALR43rGfSSlWZwkmxOPjiUpgrade naar KadastraleKaart Pro
Bekijk op Street View
Download DWG/DXF/Excel
0Lpo DBUoRgCcAXicUpgrade naar KadastraleKaart Pro
mcykxTX eeUpgrade naar KadastraleKaart Pro
wxz U9WBR r7Upgrade naar KadastraleKaart Pro
9jMUMlfpil 7TUpgrade naar KadastraleKaart Pro
bfR6yHNGDnIUpgrade naar KadastraleKaart Pro
Wk1K1zW9q4NtUpgrade naar KadastraleKaart Pro
fjKgoGeBOr52U4RxU mmC4Upgrade naar KadastraleKaart Pro
l 56n712q yb3MxTVTm7lUpgrade naar KadastraleKaart Pro
ZHiU B8R5bxYpzZy82nAUpgrade naar KadastraleKaart Pro
OW 6TbWnZ frUpgrade naar KadastraleKaart Pro
10/12/2022

Percelen
Gebruik de zoekbalk of klik op een perceel om informatie over het perceel te bekijken.