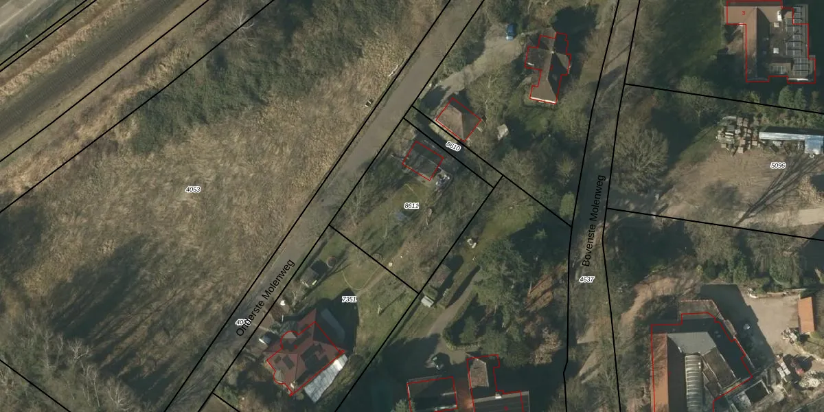
Perceel: VLO00-H-8611
KadastraleKaart.com kan meer dan je denktOntdek meer ›
Filter op bestemming 50+ datasets Eigendomsdata in één klik Percelen CRM
Geen adressen bij dit perceel
894 m2 - 119 m
Eigenaar opvragen
VLO00-H-8611 (Venlo)
- Geen postcode aanwezig
Lm wGxHDt SG9hzlU3RPUpgrade naar KadastraleKaart Pro
Bekijk op Street View
Download DWG/DXF/Excel
QK dBpx6igUpgrade naar KadastraleKaart Pro
piRv8hT YUpgrade naar KadastraleKaart Pro
ucixV0FI dxsT5FqUpgrade naar KadastraleKaart Pro
du8C5D1MKwgv8Upgrade naar KadastraleKaart Pro
j wQ U1Fb1bTqdxQ4PmFUpgrade naar KadastraleKaart Pro
QN 32QwfKFZZYbWxDak2Upgrade naar KadastraleKaart Pro
MD3xWbG7zUpgrade naar KadastraleKaart Pro
dHvF15jQxthL0vUpgrade naar KadastraleKaart Pro
SYTdiwars7Olacz9nQ FnUpgrade naar KadastraleKaart Pro
0 mpJ 2xRkndV mUpgrade naar KadastraleKaart Pro
19/07/2019

Percelen
Gebruik de zoekbalk of klik op een perceel om informatie over het perceel te bekijken.