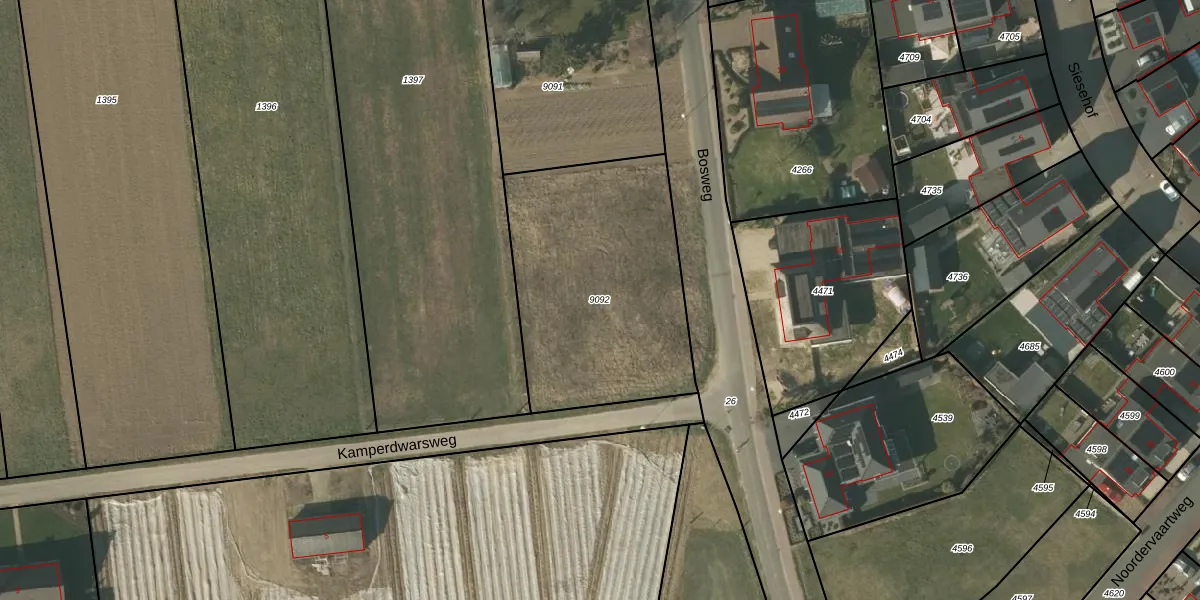
Perceel: VLO00-K-9092
KadastraleKaart.com kan meer dan je denktOntdek meer ›
Filter op bestemming 50+ datasets Eigendomsdata in één klik Percelen CRM
Geen adressen bij dit perceel
1.105 m2 - 136 m
Eigenaar opvragen
VLO00-K-9092 (Venlo)
- Geen postcode aanwezig
KJGMe6y1Mw9app9PDKdgMv p1AhBlITUpgrade naar KadastraleKaart Pro
Bekijk op Street View
Download DWG/DXF/Excel
OJ Ng sQGNZoUpgrade naar KadastraleKaart Pro
6trNxUpgrade naar KadastraleKaart Pro
c7 Kkh58MOmhvP8DPcYhxUpgrade naar KadastraleKaart Pro
73j4Pt X8YUpgrade naar KadastraleKaart Pro
O AKvSr85o0rUpgrade naar KadastraleKaart Pro
ur4WT6PCIHUpgrade naar KadastraleKaart Pro
ZxJUrEXVPjycErp UgsVswMUpgrade naar KadastraleKaart Pro
s 1 7M43U8DDZhMvIObQUpgrade naar KadastraleKaart Pro
s5S3hY20Upgrade naar KadastraleKaart Pro
LdcVkJqVLRMLKgGcUpgrade naar KadastraleKaart Pro
17/05/2006

Percelen
Gebruik de zoekbalk of klik op een perceel om informatie over het perceel te bekijken.