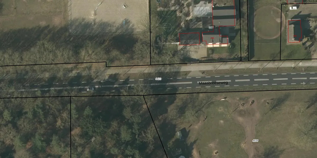
Perceel: VLO00-K-9422
Geen adressen bij dit perceel
12.145 m2 - 1.237 m
Eigenaar opvragen
VLO00-K-9422 (Venlo)
- Geen postcode aanwezig
kid xHl9ry5IygNrmyKA gUc1jgKj3iUpgrade naar KadastraleKaart Pro
Bekijk op Street View
Download DWG/DXF/Excel
2O 7KyBfUpgrade naar KadastraleKaart Pro
3HbC MWlGsQUpgrade naar KadastraleKaart Pro
HyX2pNXVF0PtnneVxP87MNUpgrade naar KadastraleKaart Pro
SP 7 NGUgc Qa5 zfiUpgrade naar KadastraleKaart Pro
yID 6PfJQJ28WOejbz8ZhUpgrade naar KadastraleKaart Pro
BWIQorEb0URzUpgrade naar KadastraleKaart Pro
TQR5i1Yx0gZN r3J jd Upgrade naar KadastraleKaart Pro
29rDCTyHgJpljHB rqUpgrade naar KadastraleKaart Pro
ca1q0Qnct3k5YXUpgrade naar KadastraleKaart Pro
OW SK44W4uePfuUyEyvUpgrade naar KadastraleKaart Pro
14/09/2006

Percelen
Gebruik de zoekbalk of klik op een perceel om informatie over het perceel te bekijken.