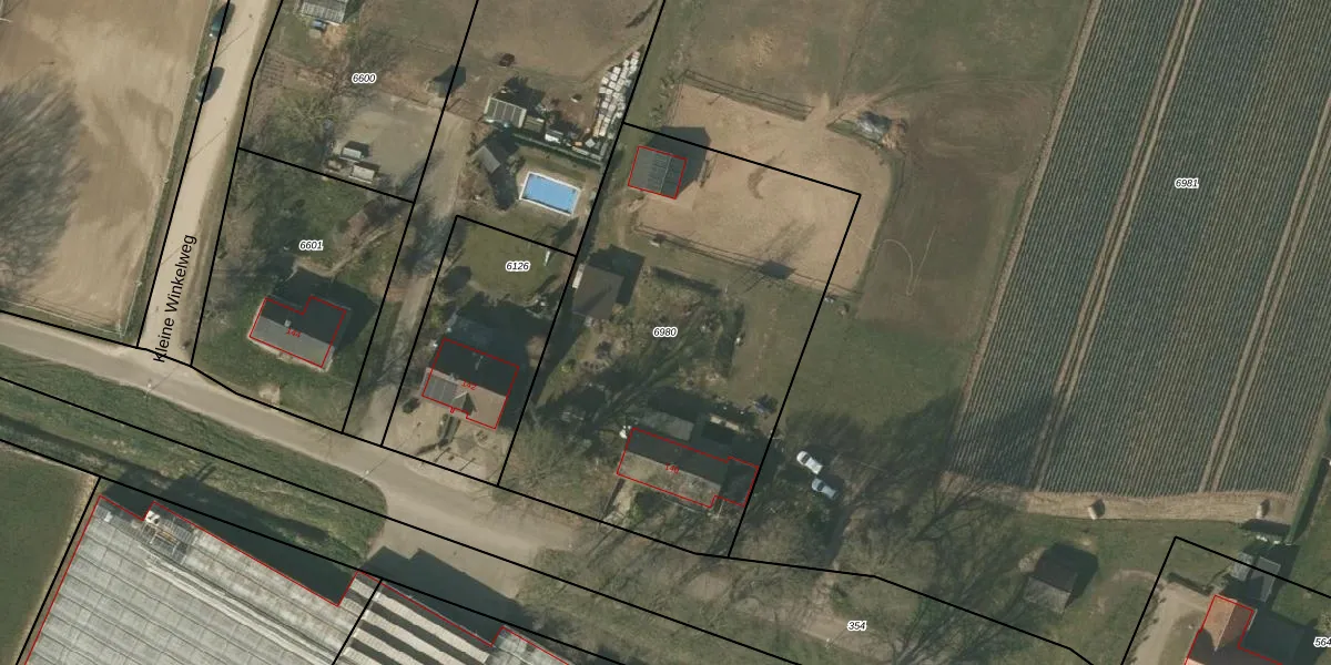
Perceel: VLO00-L-6980
KadastraleKaart.com kan meer dan je denktOntdek meer ›
Filter op bestemming 50+ datasets Eigendomsdata in één klik Percelen CRM
2.135 m2 - 190 m
Eigenaar opvragen
VLO00-L-6980 (Venlo)
- 5926 RE
KOD Gro9OUcWpJcAuFKUpgrade naar KadastraleKaart Pro
Verkoopprijs opvragen
Bekijk op Street View
Download DWG/DXF/Excel
kyvLGUvVOAKdeu0Upgrade naar KadastraleKaart Pro
8qw9 tq 2qMUYfUpgrade naar KadastraleKaart Pro
1VG ffg v6mb zkiJ diWUpgrade naar KadastraleKaart Pro
XlaoLMMI kBevY47Th Upgrade naar KadastraleKaart Pro
a82r4iBYMrUpgrade naar KadastraleKaart Pro
l5 5VIl cUpgrade naar KadastraleKaart Pro
aNZnuHhnWE7czTVbVUpgrade naar KadastraleKaart Pro
0UitJVz4vLBmUuhi1lUpgrade naar KadastraleKaart Pro
SvY9gBpuYrZTPRi K2fLUpgrade naar KadastraleKaart Pro
AML hwhB2P7LrGtTUpgrade naar KadastraleKaart Pro
10/01/2019

Percelen
Gebruik de zoekbalk of klik op een perceel om informatie over het perceel te bekijken.