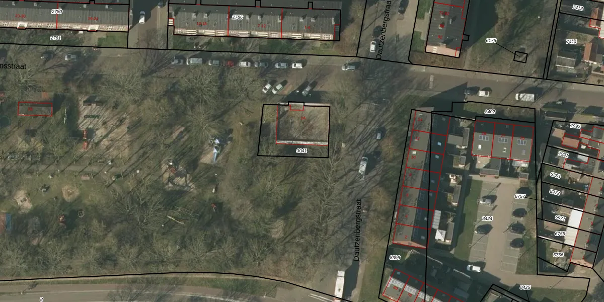
Perceel: VLO00-M-3041
KadastraleKaart.com kan meer dan je denktOntdek meer ›
Filter op bestemming 50+ datasets Eigendomsdata in één klik Percelen CRM
385 m2 - 82 m
Eigenaar opvragen
VLO00-M-3041 (Venlo)
- 5921 CA
2eaiMH7pg Rlu2QDo5xhY1De 3Upgrade naar KadastraleKaart Pro
Bekijk op Street View
Download DWG/DXF/Excel
z 8E6aSzl7zehf7 Upgrade naar KadastraleKaart Pro
8WxwKVcAYyHw9dz8Upgrade naar KadastraleKaart Pro
LxnsLov0qqsgehQURei61Upgrade naar KadastraleKaart Pro
wRC0QS1PUpgrade naar KadastraleKaart Pro
J15tAhpzkd40fotIS3Upgrade naar KadastraleKaart Pro
6CXgIKc6DDbwxPcEUpgrade naar KadastraleKaart Pro
A0 dfBWz3gjclaeoIUpgrade naar KadastraleKaart Pro
TNNEM18aVV6j liUpgrade naar KadastraleKaart Pro
lvL v8uD0aLIMUpgrade naar KadastraleKaart Pro
v0yQ8HHUCwN3SBC3DlBMiemUpgrade naar KadastraleKaart Pro
04/05/2006

Percelen
Gebruik de zoekbalk of klik op een perceel om informatie over het perceel te bekijken.