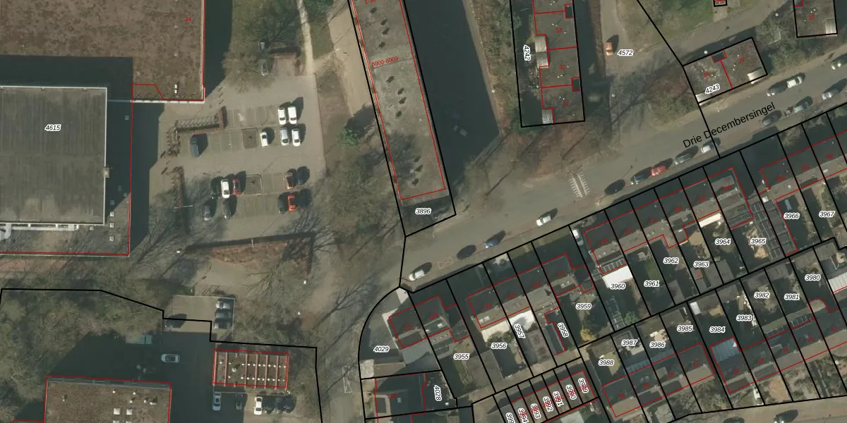
Perceel: VLO00-M-3896
1.208 m2 - 213 m
Eigenaar opvragen
VLO00-M-3896 (Venlo)
- 5922 BE -5922 BG
IcNMtW6XZ3vwT9AGovHuFE aXUpgrade naar KadastraleKaart Pro
Bekijk op Street View
Download DWG/DXF/Excel
4 pMvc ejGVOUnB DOeSUpgrade naar KadastraleKaart Pro
dR5AEXaj nTgBHtI4kKXUpgrade naar KadastraleKaart Pro
x5XhAKW8Upgrade naar KadastraleKaart Pro
0zVruTf1U 9wraweiUpgrade naar KadastraleKaart Pro
f7OWMfdIVE3j0aSIr1FlVGUpgrade naar KadastraleKaart Pro
4GBxR0Tl6tzVUpgrade naar KadastraleKaart Pro
kuhBikcCUwUpgrade naar KadastraleKaart Pro
mi 8DgCuUpgrade naar KadastraleKaart Pro
ia8Gy5mt8xBUpgrade naar KadastraleKaart Pro
7Cn4PB bDLxliu5EtUpgrade naar KadastraleKaart Pro
17/12/2008

Percelen
Gebruik de zoekbalk of klik op een perceel om informatie over het perceel te bekijken.