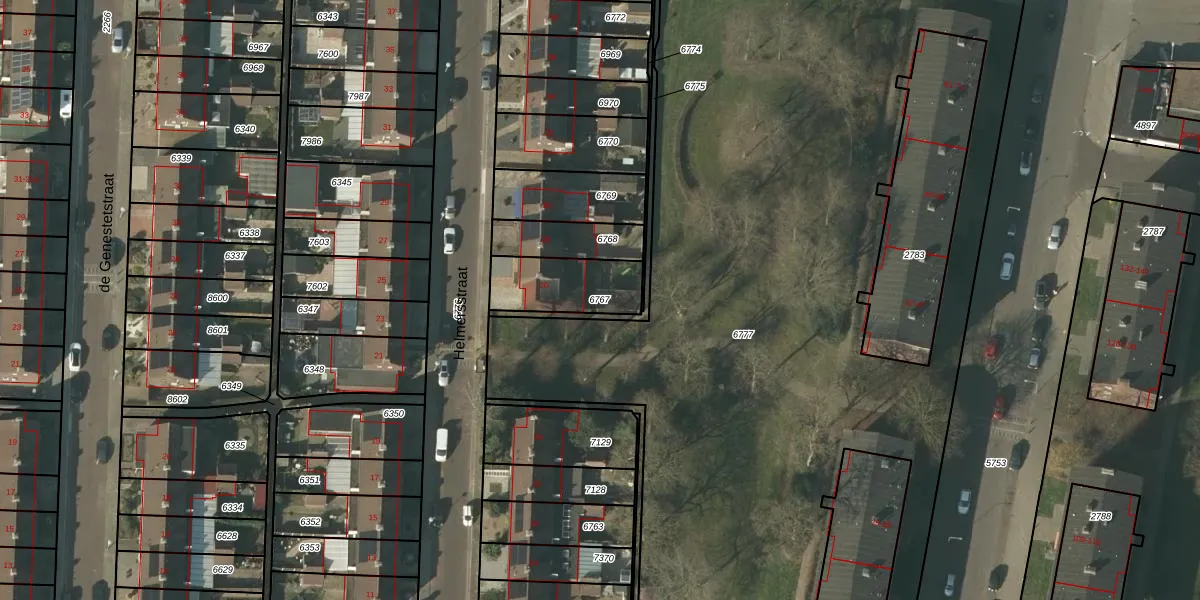
Perceel: VLO00-M-6767
227 m2 - 69 m
Eigenaar opvragen
VLO00-M-6767 (Venlo)
- 5921 BS
LZBp sLpZLIzSKwqqkQve6dUpgrade naar KadastraleKaart Pro
Verkoopprijs opvragen
Bekijk op Street View
Download DWG/DXF/Excel
7 4aiRbBvUUpgrade naar KadastraleKaart Pro
zjgcRrI0UocJv0E55KzFUpgrade naar KadastraleKaart Pro
fGt mAaEUpgrade naar KadastraleKaart Pro
5PjZVZcDq79sAyeHrtj Upgrade naar KadastraleKaart Pro
CU5xYrPGE O 3iOBYuCvlp7Upgrade naar KadastraleKaart Pro
T9o Dm gjxsNclUpgrade naar KadastraleKaart Pro
rxUu2XKaP02oMGsgUpgrade naar KadastraleKaart Pro
me6lepYBUpgrade naar KadastraleKaart Pro
u63ypSCU2jYStShsUpgrade naar KadastraleKaart Pro
OgFX1StraBCUpgrade naar KadastraleKaart Pro
03/05/2006

Percelen
Gebruik de zoekbalk of klik op een perceel om informatie over het perceel te bekijken.