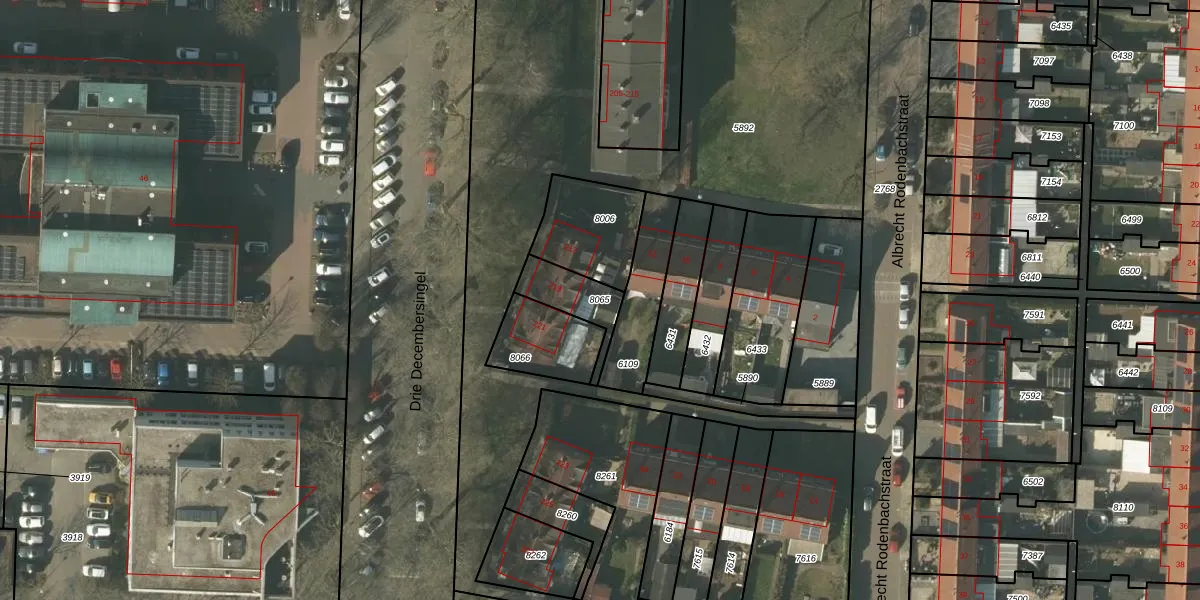
Perceel: VLO00-M-8065
KadastraleKaart.com kan meer dan je denktOntdek meer ›
Filter op bestemming 50+ datasets Eigendomsdata in één klik Percelen CRM
130 m2 - 68 m
Eigenaar opvragen
VLO00-M-8065 (Venlo)
- 5921 AA
wAi7J5nYmoBXkH2vmM3deUpgrade naar KadastraleKaart Pro
Bekijk op Street View
Download DWG/DXF/Excel
SZNCFbnGo8bQp2UAin3Upgrade naar KadastraleKaart Pro
dc EB vVx9fUpgrade naar KadastraleKaart Pro
f7JflesH ykByWg69IDUpgrade naar KadastraleKaart Pro
3KhKxQkzBUpgrade naar KadastraleKaart Pro
JvYe7uk7aKvaF Ot6GAmlUpgrade naar KadastraleKaart Pro
u4UYClqrMNQ Upgrade naar KadastraleKaart Pro
9N9 eLa vgkf56Upgrade naar KadastraleKaart Pro
U2V YE gFUpgrade naar KadastraleKaart Pro
H 91DfryND0EXmEXq0Upgrade naar KadastraleKaart Pro
F1JiuyFbWcFUpgrade naar KadastraleKaart Pro
24/07/2013

Percelen
Gebruik de zoekbalk of klik op een perceel om informatie over het perceel te bekijken.