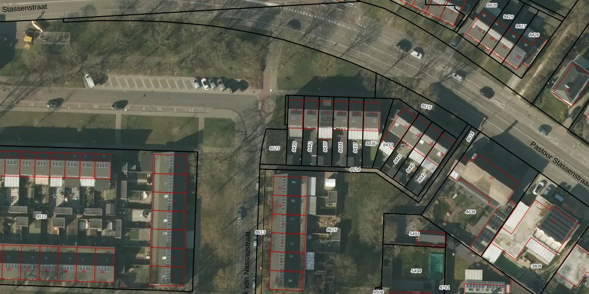
Perceel: VLO00-M-8439
KadastraleKaart.com kan meer dan je denktOntdek meer ›
Filter op bestemming 50+ datasets Eigendomsdata in één klik Percelen CRM
126 m2 - 58 m
Eigenaar opvragen
VLO00-M-8439 (Venlo)
- 5923 BD
RbVw oVUcTLf01YDzwqY5Upgrade naar KadastraleKaart Pro
Bekijk op Street View
Download DWG/DXF/Excel
wsawL6EehvL FqaBVZUpgrade naar KadastraleKaart Pro
jcs4 fDzykts2Ao1lNduG8AUpgrade naar KadastraleKaart Pro
ljq7bGEh Upgrade naar KadastraleKaart Pro
rh9UtgcJivps Upgrade naar KadastraleKaart Pro
s SvztRV4V1SFN GNUpgrade naar KadastraleKaart Pro
0fYhLRl uckUpgrade naar KadastraleKaart Pro
Y7UjyvrnRAP2Upgrade naar KadastraleKaart Pro
EnDU7u2UU9TFVoTUpgrade naar KadastraleKaart Pro
QsSacPwCjbxnCLeUpgrade naar KadastraleKaart Pro
Is7ok4AYE3XojVJC3L4qhRUpgrade naar KadastraleKaart Pro
19/11/2019

Percelen
Gebruik de zoekbalk of klik op een perceel om informatie over het perceel te bekijken.