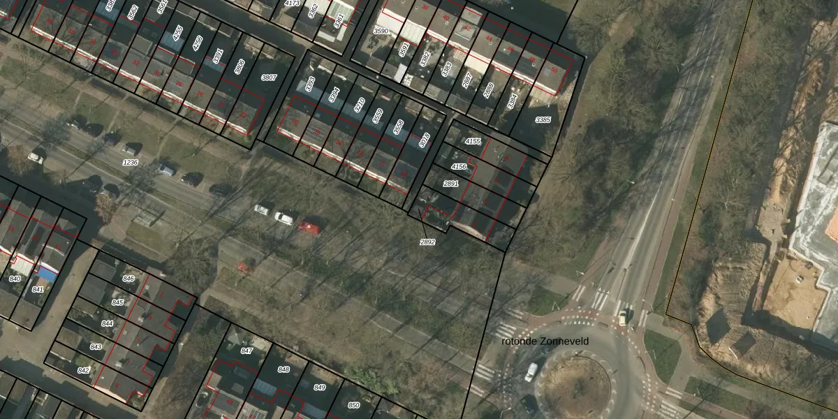
Perceel: VLO00-N-2892
KadastraleKaart.com kan meer dan je denktOntdek meer ›
Filter op bestemming 50+ datasets Eigendomsdata in één klik Percelen CRM
170 m2 - 66 m
Eigenaar opvragen
VLO00-N-2892 (Venlo)
- 5924 AE
pLrSOXi lyzzvuE0X pIiUM1 N00U Upgrade naar KadastraleKaart Pro
Verkoopprijs opvragen
Bekijk op Street View
Download DWG/DXF/Excel
AOKDlH OwUpgrade naar KadastraleKaart Pro
3iwuME ad2dzbCx 7pmwcUpgrade naar KadastraleKaart Pro
5w1C tWGUpgrade naar KadastraleKaart Pro
8 XhIDRS8xMoUpgrade naar KadastraleKaart Pro
CpkRksyb6iYihJVUpgrade naar KadastraleKaart Pro
2 bbCyV6RS Caq1 N337nUpgrade naar KadastraleKaart Pro
Yp44uY6jnBbUpgrade naar KadastraleKaart Pro
s1HTMFduXdUpgrade naar KadastraleKaart Pro
fEBMKicHH7e98WTNd8IZ2Upgrade naar KadastraleKaart Pro
9 IPNCJvUpgrade naar KadastraleKaart Pro
09/06/2006

Percelen
Gebruik de zoekbalk of klik op een perceel om informatie over het perceel te bekijken.