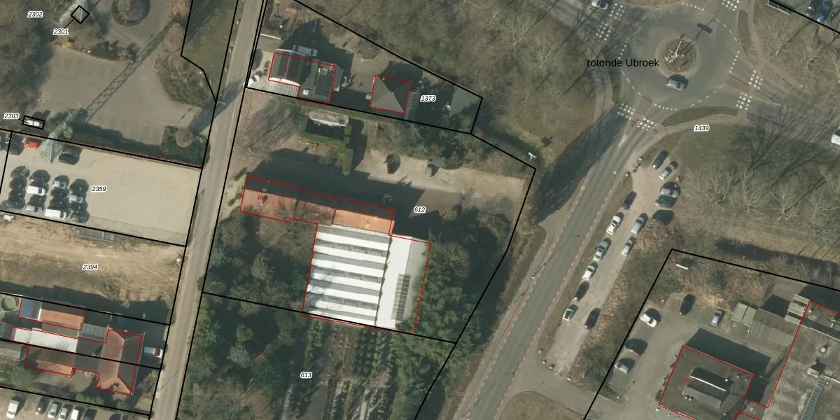
Perceel: VLO00-O-612
KadastraleKaart.com kan meer dan je denktOntdek meer ›
Filter op bestemming 50+ datasets Eigendomsdata in één klik Percelen CRM
3.400 m2 - 230 m
Eigenaar opvragen
VLO00-O-612 (Venlo)
- 5928 MT
ZbZ7FyAoZm68agKsUe Qrwd7yvitmX2Upgrade naar KadastraleKaart Pro
Bekijk op Street View
Download DWG/DXF/Excel
m 6O2iGDD KD1SCXYlgUpgrade naar KadastraleKaart Pro
S7PxCW45VQah4 EgSOL0MZUpgrade naar KadastraleKaart Pro
IG DV9 Ub ZaUpgrade naar KadastraleKaart Pro
Juy9xxAUpgrade naar KadastraleKaart Pro
sOA D VVUUpgrade naar KadastraleKaart Pro
coG8CVH T us4x4wyUUpgrade naar KadastraleKaart Pro
ElmjU7ZANvruUpgrade naar KadastraleKaart Pro
LE0 a46 unKa01TaQUpgrade naar KadastraleKaart Pro
ej MZmwWXOhhAI lVHiNsUpgrade naar KadastraleKaart Pro
0i96fF EYUpgrade naar KadastraleKaart Pro
02/06/2006

Percelen
Gebruik de zoekbalk of klik op een perceel om informatie over het perceel te bekijken.