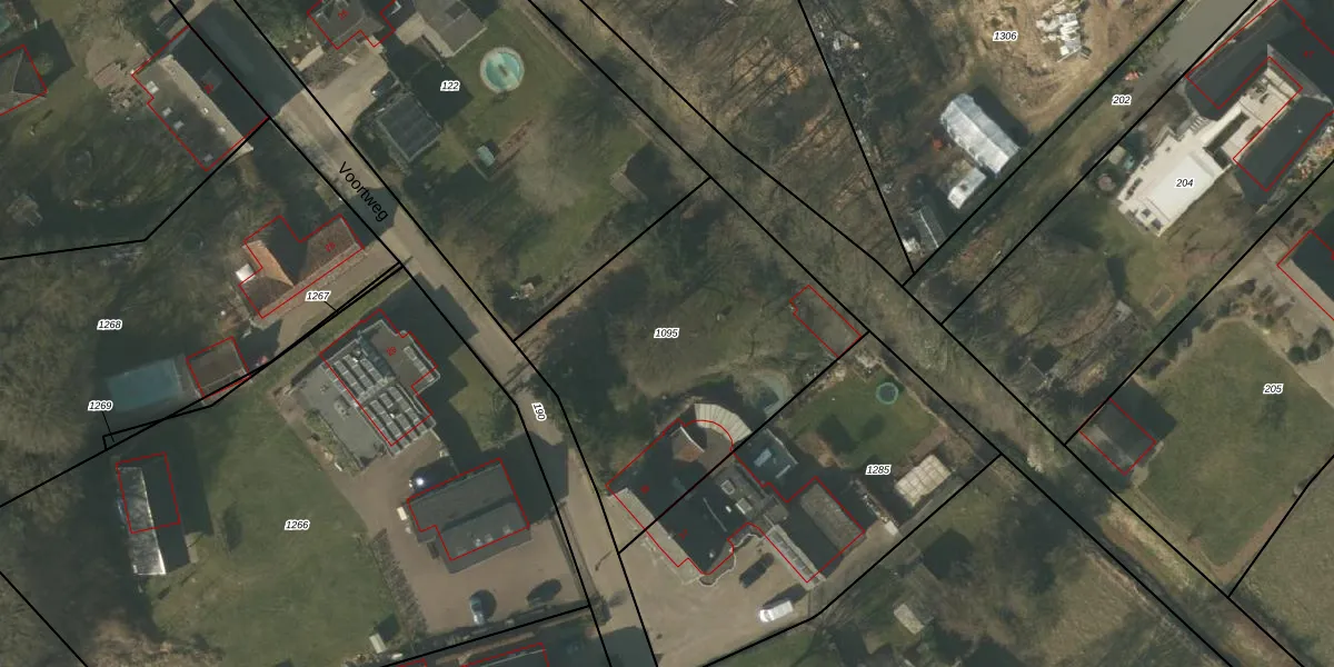
Perceel: VLO00-P-1095
KadastraleKaart.com kan meer dan je denktOntdek meer ›
Filter op bestemming 50+ datasets Eigendomsdata in één klik Percelen CRM
1.460 m2 - 158 m
Eigenaar opvragen
VLO00-P-1095 (Venlo)
- 5926 PH
D GwASrG15gpFN3xUNtUMgUa AnUpgrade naar KadastraleKaart Pro
Verkoopprijs opvragen
Bekijk op Street View
Download DWG/DXF/Excel
qos KfeN7BnTbWHfanKUpgrade naar KadastraleKaart Pro
JWH GhqD gFnse 9rdxUpgrade naar KadastraleKaart Pro
HnX0RLbpsR6PInCFaUpgrade naar KadastraleKaart Pro
eKtMpyyjIAYUpgrade naar KadastraleKaart Pro
2C8HupP0bKmR5 D2Upgrade naar KadastraleKaart Pro
eT2v5p4z 41Upgrade naar KadastraleKaart Pro
nQbZndWI jE0Rh Upgrade naar KadastraleKaart Pro
FoSSMx hN lJqTplUpgrade naar KadastraleKaart Pro
4FydEGEMdAy FLxOHUJvUpgrade naar KadastraleKaart Pro
Kt0FlI23boNu CK0x7Upgrade naar KadastraleKaart Pro
15/06/2006

Percelen
Gebruik de zoekbalk of klik op een perceel om informatie over het perceel te bekijken.