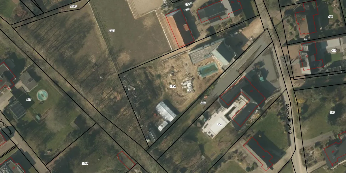
Perceel: VLO00-P-1306
KadastraleKaart.com kan meer dan je denktOntdek meer ›
Filter op bestemming 50+ datasets Eigendomsdata in één klik Percelen CRM
2.455 m2 - 240 m
Eigenaar opvragen
VLO00-P-1306 (Venlo)
- 5926 PJ
W5ZnP9RdtLvtiT gAiUpgrade naar KadastraleKaart Pro
Bekijk op Street View
Download DWG/DXF/Excel
N3jFJfaNcUpgrade naar KadastraleKaart Pro
1ukwbRd FUpgrade naar KadastraleKaart Pro
5Q niauW1jxNKJ chUpgrade naar KadastraleKaart Pro
yUJyjLQb CqKr79P SkIVH Upgrade naar KadastraleKaart Pro
Cdiqm3 Iz2zZzsSUpgrade naar KadastraleKaart Pro
StyxvdZLbUpgrade naar KadastraleKaart Pro
mjucwHnLvld bNUpgrade naar KadastraleKaart Pro
y3CkPRYedxzct 7hCU52x5oUpgrade naar KadastraleKaart Pro
Aw19ip7up JNEuA Upgrade naar KadastraleKaart Pro
k99Lgc7w5Upgrade naar KadastraleKaart Pro
09/12/2021

Percelen
Gebruik de zoekbalk of klik op een perceel om informatie over het perceel te bekijken.