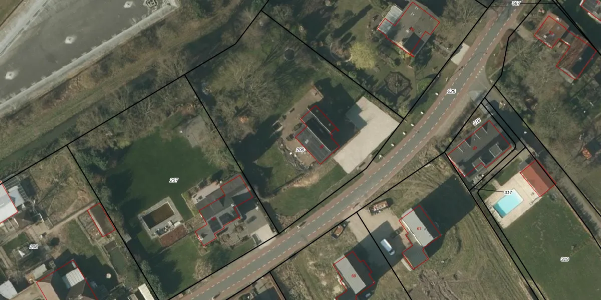
Perceel: VLO00-T-206
KadastraleKaart.com kan meer dan je denktOntdek meer ›
Filter op bestemming 50+ datasets Eigendomsdata in één klik Percelen CRM
2.750 m2 - 212 m
Eigenaar opvragen
VLO00-T-206 (Venlo)
- 5912 PH
9JIOBKslZqzmXqlYTtXkxX c1Upgrade naar KadastraleKaart Pro
Bekijk op Street View
Download DWG/DXF/Excel
4IxKuu6pvSWaab A0iGLUpgrade naar KadastraleKaart Pro
zwDyVR5mrDuYyad2ULMiC3hUpgrade naar KadastraleKaart Pro
40kCzoqGSUpgrade naar KadastraleKaart Pro
qrPzp5iAUpgrade naar KadastraleKaart Pro
9QNm E2pk5Ap jJUpgrade naar KadastraleKaart Pro
vd J vqCxVVDRnVh8nav9Upgrade naar KadastraleKaart Pro
KLGOByPJUpgrade naar KadastraleKaart Pro
tzxjv QM3qmsl NhBbgUpgrade naar KadastraleKaart Pro
R8iPwSZ7jxUb25mFuUpgrade naar KadastraleKaart Pro
Oi09LUVH1p Upgrade naar KadastraleKaart Pro
28/05/2008

Percelen
Gebruik de zoekbalk of klik op een perceel om informatie over het perceel te bekijken.