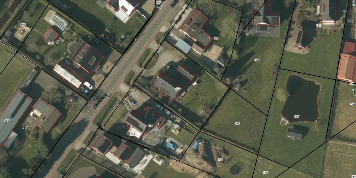
Perceel: VLO00-T-576
KadastraleKaart.com kan meer dan je denktOntdek meer ›
Filter op bestemming 50+ datasets Eigendomsdata in één klik Percelen CRM
1.415 m2 - 152 m
Eigenaar opvragen
VLO00-T-576 (Venlo)
- 5912 PH
AV1acM D1ANH6DPFox8tDjUpgrade naar KadastraleKaart Pro
Bekijk op Street View
Download DWG/DXF/Excel
hOg9 J4cdB f5TCj Km2XUpgrade naar KadastraleKaart Pro
C4ePwastXnTBqapNWKrUUpgrade naar KadastraleKaart Pro
AYvi80208iRuVKUpgrade naar KadastraleKaart Pro
C4CKdOei0h9wbeuo6MfwUpgrade naar KadastraleKaart Pro
pVToJC2SpZT zvuKDFLrrEUpgrade naar KadastraleKaart Pro
8Wc2m9ymLrEFW4f7QHqDoUpgrade naar KadastraleKaart Pro
cm lgC1b9gH7BUpgrade naar KadastraleKaart Pro
qB3hi70LOUpgrade naar KadastraleKaart Pro
ifbKd3urcShIrN4ZiX yeUpgrade naar KadastraleKaart Pro
pyH 3Av2WM73 Upgrade naar KadastraleKaart Pro
06/03/2017

Percelen
Gebruik de zoekbalk of klik op een perceel om informatie over het perceel te bekijken.