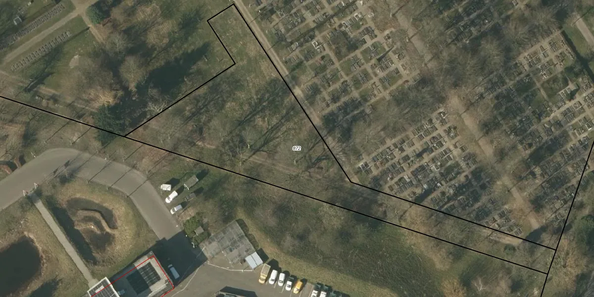
Perceel: VLO00-T-872
Geen adressen bij dit perceel
2.700 m2 - 376 m
Eigenaar opvragen
VLO00-T-872 (Venlo)
- Geen postcode aanwezig
0O8 3 2KV1Qa9uNKaG Upgrade naar KadastraleKaart Pro
Bekijk op Street View
Download DWG/DXF/Excel
BUV4 KOKhVXAUpgrade naar KadastraleKaart Pro
IT7mkUzYlSTqRPWoLnUpgrade naar KadastraleKaart Pro
0H cLRuVUpgrade naar KadastraleKaart Pro
zOBotr53Auxdp tUpgrade naar KadastraleKaart Pro
QWuENtB8 YhUpgrade naar KadastraleKaart Pro
o rU q57G3NwFtUpgrade naar KadastraleKaart Pro
K9CIWPTvUpgrade naar KadastraleKaart Pro
y Vi4PraP9D2YaSkUpgrade naar KadastraleKaart Pro
HPcvGKnm1rNUpgrade naar KadastraleKaart Pro
qpdUo A4X6IZfBUpgrade naar KadastraleKaart Pro
28/03/2024

Percelen
Gebruik de zoekbalk of klik op een perceel om informatie over het perceel te bekijken.