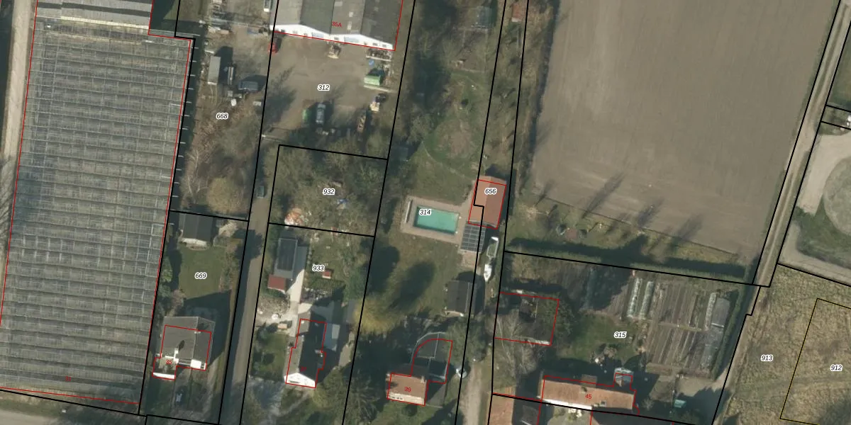
Perceel: VLO00-U-314
KadastraleKaart.com kan meer dan je denktOntdek meer ›
Filter op bestemming 50+ datasets Eigendomsdata in één klik Percelen CRM
2.637 m2 - 275 m
Eigenaar opvragen
VLO00-U-314 (Venlo)
- 5916 NG
4zh9rcsh0xHF04eKORmUpgrade naar KadastraleKaart Pro
Verkoopprijs opvragen
Bekijk op Street View
Download DWG/DXF/Excel
pjhUiFRy17lt BccURk0YUpgrade naar KadastraleKaart Pro
N0njLJqBBmUpgrade naar KadastraleKaart Pro
fioB12u8Upgrade naar KadastraleKaart Pro
SYqolQ9pa0nSD1roTXhnUpgrade naar KadastraleKaart Pro
hPn27Xt6Tdm UaUpgrade naar KadastraleKaart Pro
u vXyDWNxUy0lS0FQBtdYUpgrade naar KadastraleKaart Pro
gQYD Bg8lHAxfJGgUpgrade naar KadastraleKaart Pro
5AcvvligjQra 06OpUpgrade naar KadastraleKaart Pro
Ca ylboTMBn5InjE83Upgrade naar KadastraleKaart Pro
HjGqqEfs6Z Upgrade naar KadastraleKaart Pro
02/12/2021

Percelen
Gebruik de zoekbalk of klik op een perceel om informatie over het perceel te bekijken.