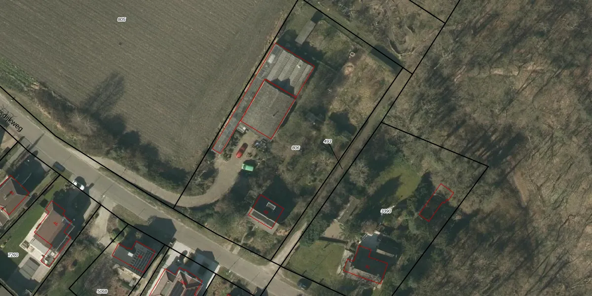
Perceel: VLO00-U-806
KadastraleKaart.com kan meer dan je denktOntdek meer ›
Filter op bestemming 50+ datasets Eigendomsdata in één klik Percelen CRM
3.239 m2 - 242 m
Eigenaar opvragen
VLO00-U-806 (Venlo)
- 5913 PB
iYBxAv58Uj4arMZUZ7 oTURvtC8QUpgrade naar KadastraleKaart Pro
Bekijk op Street View
Download DWG/DXF/Excel
nOs8z D pKuybIt0xUpgrade naar KadastraleKaart Pro
t073VdJ0U3UR5ls10TMUpgrade naar KadastraleKaart Pro
8k9287m L DN6iUpgrade naar KadastraleKaart Pro
t d Ts6l kde0Upgrade naar KadastraleKaart Pro
R14Wz4jSw Ze1Upgrade naar KadastraleKaart Pro
wSKUz CFGD3YcPz9TytWV55Upgrade naar KadastraleKaart Pro
R8b jZRrKV1wUpgrade naar KadastraleKaart Pro
OROGfpaL 1RQUGhF6 0RMDmUpgrade naar KadastraleKaart Pro
JSODrFpJ2Ji CB2Abk 5XUpgrade naar KadastraleKaart Pro
jlWOExc6tqHNaUqo iUpgrade naar KadastraleKaart Pro
12/06/2009

Percelen
Gebruik de zoekbalk of klik op een perceel om informatie over het perceel te bekijken.