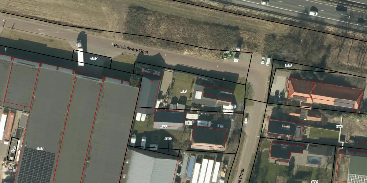
Perceel: VMN00-H-4330
KadastraleKaart.com kan meer dan je denktOntdek meer ›
Filter op bestemming 50+ datasets Eigendomsdata in één klik Percelen CRM
1.230 m2 - 165 m
Eigenaar opvragen
VMN00-H-4330 (Vlijmen)
- 5251 KH -5251 JX
9DRUM25jIPJih3wqd06 quf5 tOVTEUpgrade naar KadastraleKaart Pro
Verkoopprijs opvragen
Bekijk op Street View
Download DWG/DXF/Excel
66v44s b0GSVm WC0O7Upgrade naar KadastraleKaart Pro
aZAcz G4WKu aco P5Upgrade naar KadastraleKaart Pro
aTG2Hv2VBl33Y91Upgrade naar KadastraleKaart Pro
jzTewu42xPFeVcNUpgrade naar KadastraleKaart Pro
QULGX4hjciUBUpgrade naar KadastraleKaart Pro
OjZaPs Ne3eXAUpgrade naar KadastraleKaart Pro
ht4fZPseygRh5 I QnFlUpgrade naar KadastraleKaart Pro
BiD9R510 0SmwIm2whF6 Upgrade naar KadastraleKaart Pro
UksgjM NvUpgrade naar KadastraleKaart Pro
NsbzMqGiV YBoufsL8Upgrade naar KadastraleKaart Pro
20/12/2006

Percelen
Gebruik de zoekbalk of klik op een perceel om informatie over het perceel te bekijken.