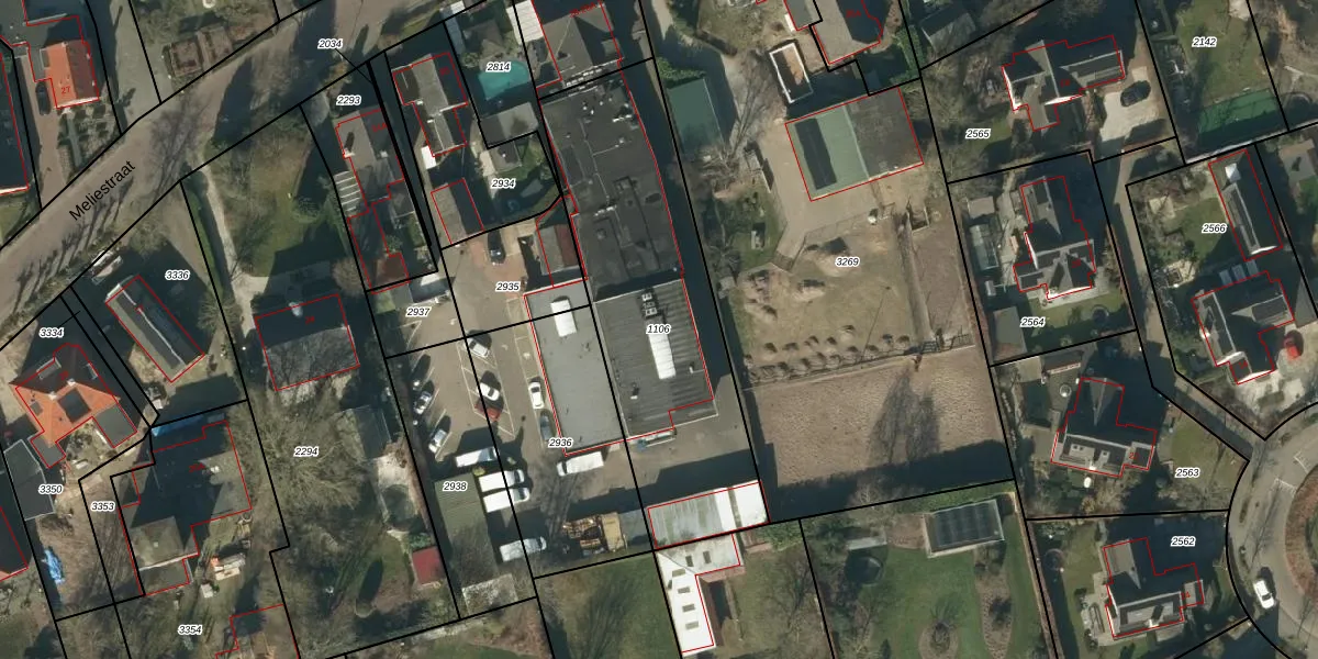
Perceel: VMN00-L-1106
KadastraleKaart.com kan meer dan je denktOntdek meer ›
Filter op bestemming 50+ datasets Eigendomsdata in één klik Percelen CRM
1.335 m2 - 180 m
Eigenaar opvragen
VMN00-L-1106 (Vlijmen)
- 5251 EJ
UHN3 QwtG7uVQ4PVw S0Upgrade naar KadastraleKaart Pro
Bekijk op Street View
Download DWG/DXF/Excel
ZMDno xrb6Upgrade naar KadastraleKaart Pro
RcrYzzLUyrP9yCMx2QBd eUpgrade naar KadastraleKaart Pro
ddy7jD1Nrj6tYF tUpgrade naar KadastraleKaart Pro
s4Acjt Qkv8egM6Z8AGG 2Upgrade naar KadastraleKaart Pro
PucJ6igO0Upgrade naar KadastraleKaart Pro
81pmRrySQ9 wocTUpgrade naar KadastraleKaart Pro
jLUCU3fiKjFeBNqeO 2LuNJUpgrade naar KadastraleKaart Pro
tRiZR FAgUpgrade naar KadastraleKaart Pro
kk7smGCRGUpgrade naar KadastraleKaart Pro
9WTthg4i5OYxFdBy6Upgrade naar KadastraleKaart Pro
25/02/2011

Percelen
Gebruik de zoekbalk of klik op een perceel om informatie over het perceel te bekijken.