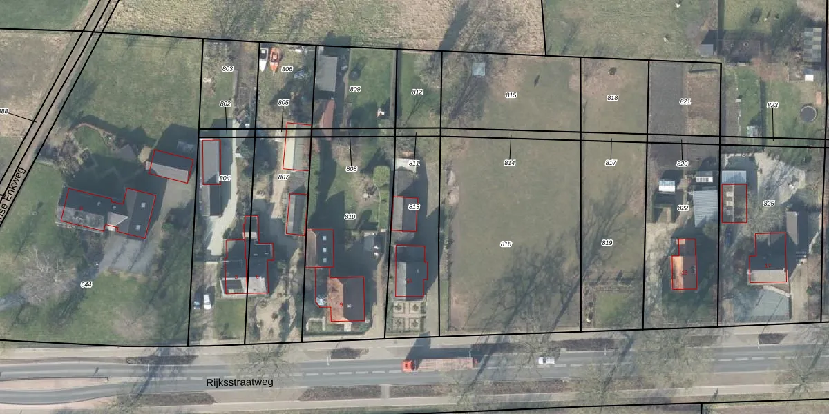
Perceel: VOO00-B-813
535 m2 - 121 m
Eigenaar opvragen
VOO00-B-813 (Voorst)
- 7383 AJ
WD02 JW7oP9mcuVfUpgrade naar KadastraleKaart Pro
Bekijk op Street View
Download DWG/DXF/Excel
jBHf 6UjgxlUOUpgrade naar KadastraleKaart Pro
xCjjJVzEe7bUpgrade naar KadastraleKaart Pro
2MrK wA eiTzon5HKwPIBdOUpgrade naar KadastraleKaart Pro
bsPfic4n XVaIL Upgrade naar KadastraleKaart Pro
HDJ6VISa1Upgrade naar KadastraleKaart Pro
ndOc2Q98dcGOItgsjaO1RUpgrade naar KadastraleKaart Pro
LAgP9UKghHrbvaxUpgrade naar KadastraleKaart Pro
u PF aaUpgrade naar KadastraleKaart Pro
ht9fqxXRsVISdyhiq a2Upgrade naar KadastraleKaart Pro
PULWxwFk3jDjGXgfhpeUpgrade naar KadastraleKaart Pro
03/12/2003

Percelen
Gebruik de zoekbalk of klik op een perceel om informatie over het perceel te bekijken.