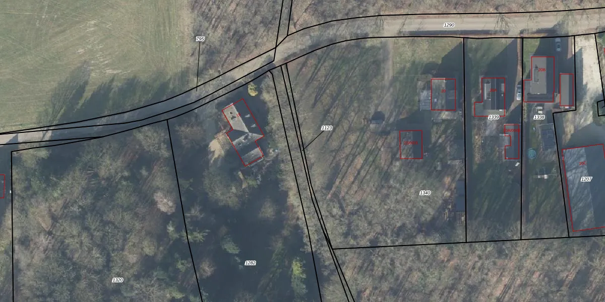
Perceel: VOO00-C-1123
Geen adressen bij dit perceel
105 m2 - 129 m
Eigenaar opvragen
VOO00-C-1123 (Voorst)
- Geen postcode aanwezig
ENkzJXdOMmnh 0gzH D0n1SUpgrade naar KadastraleKaart Pro
Bekijk op Street View
Download DWG/DXF/Excel
t3TAmJTC 0mi3vUPW6FYyBhUpgrade naar KadastraleKaart Pro
TByCtufbobUpgrade naar KadastraleKaart Pro
8XKE NniRUijBJuA16 XLUpgrade naar KadastraleKaart Pro
1jJt9ub VUvZ T ELKepUpgrade naar KadastraleKaart Pro
yHSyNIVa4f7WFUpgrade naar KadastraleKaart Pro
0G7S 1MwlUpgrade naar KadastraleKaart Pro
vooaqCqEu oWEUpgrade naar KadastraleKaart Pro
DFlEUvcuH9qdUlF6QgCLUpgrade naar KadastraleKaart Pro
Hl5 X z fA hEMTvYCH1Upgrade naar KadastraleKaart Pro
nwqhV2Bl IhKr6ltLd68tUpgrade naar KadastraleKaart Pro
20/04/2005

Percelen
Gebruik de zoekbalk of klik op een perceel om informatie over het perceel te bekijken.