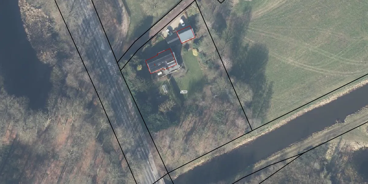
Perceel: VOO00-C-1280
3.510 m2 - 246 m
Eigenaar opvragen
VOO00-C-1280 (Voorst)
- 7383 BG
vRAg ve6tKlWf UhUpgrade naar KadastraleKaart Pro
Verkoopprijs opvragen
Bekijk op Street View
Download DWG/DXF/Excel
1yL 1lleV6HLhUpgrade naar KadastraleKaart Pro
mtS1ROP1oVH2AAIX4Upgrade naar KadastraleKaart Pro
lIfNAA55sXN PtX9dOcUpgrade naar KadastraleKaart Pro
bFPYCK7IuKWBUpgrade naar KadastraleKaart Pro
4z 8AB LUpgrade naar KadastraleKaart Pro
SImRqqxm3qDaj1Xr3lrnUpgrade naar KadastraleKaart Pro
2Gujs 2jtr VteyUpgrade naar KadastraleKaart Pro
LmPi8 yg6TchPTlwcqG9 TUpgrade naar KadastraleKaart Pro
h vtGC mT sDEuUpgrade naar KadastraleKaart Pro
zKiDN d10VSwuXUpgrade naar KadastraleKaart Pro
28/01/2003

Percelen
Gebruik de zoekbalk of klik op een perceel om informatie over het perceel te bekijken.