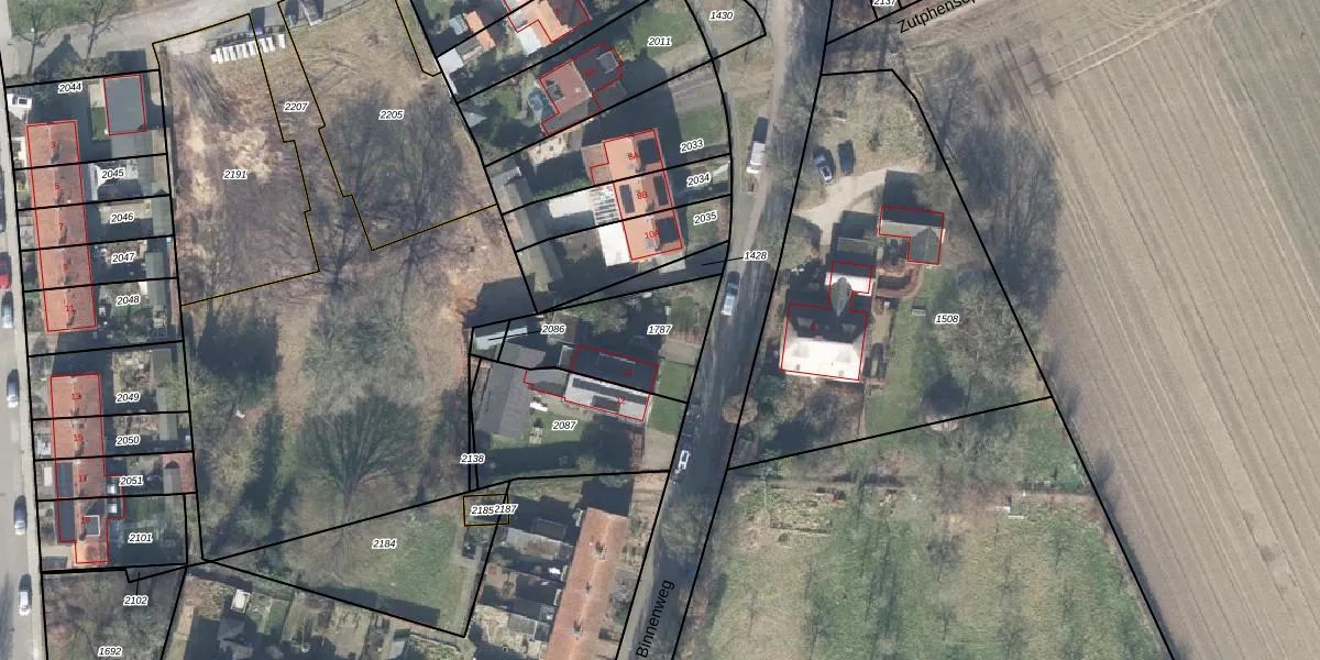
Perceel: VOO00-D-1787
360 m2 - 90 m
Eigenaar opvragen
VOO00-D-1787 (Voorst)
- 7383 CP
sCEf OY2gh8d7hIhtCvUpgrade naar KadastraleKaart Pro
Verkoopprijs opvragen
Bekijk op Street View
Download DWG/DXF/Excel
MSHQU30Z0m3LUpgrade naar KadastraleKaart Pro
kg9sXOpIUpgrade naar KadastraleKaart Pro
OQkfh BYndOMUpgrade naar KadastraleKaart Pro
dD6wii TUpgrade naar KadastraleKaart Pro
pTmP6scsNvz E0OiI3Upgrade naar KadastraleKaart Pro
2Sjnjx T9G7k4Upgrade naar KadastraleKaart Pro
DIFHj70po6kl0p4AUpgrade naar KadastraleKaart Pro
UHnHMfy7N31Upgrade naar KadastraleKaart Pro
2caPY7wz01 Z7Upgrade naar KadastraleKaart Pro
2FuiqyqfUpgrade naar KadastraleKaart Pro
21/08/2006

Percelen
Gebruik de zoekbalk of klik op een perceel om informatie over het perceel te bekijken.