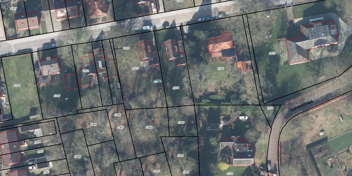
Perceel: VOO00-D-1914
680 m2 - 120 m
Eigenaar opvragen
VOO00-D-1914 (Voorst)
- 7383 CB
1ljn54hRJIdTX L0x8gpY6sIw Upgrade naar KadastraleKaart Pro
Bekijk op Street View
Download DWG/DXF/Excel
Oi RZuquL LnWZBhw5SpUpgrade naar KadastraleKaart Pro
GMwPrgPnUpgrade naar KadastraleKaart Pro
Ay 0MbBjLuyUpgrade naar KadastraleKaart Pro
3SFFRcgqC yBz7NxodsUpgrade naar KadastraleKaart Pro
kInepOQwxRtnN7 Upgrade naar KadastraleKaart Pro
c0mSh XPOUpgrade naar KadastraleKaart Pro
LOHQd0e31KYOUpgrade naar KadastraleKaart Pro
lIBsPwPMjGKcZJ9i zChkRUpgrade naar KadastraleKaart Pro
94f8bK2r7T7eHSBpowiXtlUpgrade naar KadastraleKaart Pro
2SjCc DyYClmUpgrade naar KadastraleKaart Pro
05/12/2003

Percelen
Gebruik de zoekbalk of klik op een perceel om informatie over het perceel te bekijken.