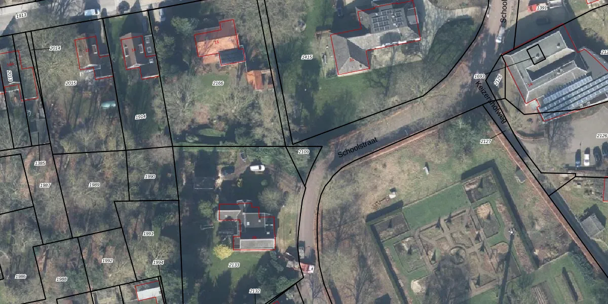
Perceel: VOO00-D-2109
Geen adressen bij dit perceel
75 m2 - 41 m
Eigenaar opvragen
VOO00-D-2109 (Voorst)
- Geen postcode aanwezig
UKDfN50PjRDdgCI2D Upgrade naar KadastraleKaart Pro
Bekijk op Street View
Download DWG/DXF/Excel
oR6eAkwoaRkP Upgrade naar KadastraleKaart Pro
OWT PCmu4ITw3hqGE8NjcaUpgrade naar KadastraleKaart Pro
cWyzQe d XUpgrade naar KadastraleKaart Pro
HnCzKZhqwq8Upgrade naar KadastraleKaart Pro
nEdHzWBDOc7UKUpgrade naar KadastraleKaart Pro
oRdgqUjwXEvBRMjIUpgrade naar KadastraleKaart Pro
Pn 4D zvsI Upgrade naar KadastraleKaart Pro
wnn 5GC62ZHPiZWBUpgrade naar KadastraleKaart Pro
K nR7Fi1U7n5BO gvA Upgrade naar KadastraleKaart Pro
wOpF2m6wHUpgrade naar KadastraleKaart Pro
22/12/2011

Percelen
Gebruik de zoekbalk of klik op een perceel om informatie over het perceel te bekijken.