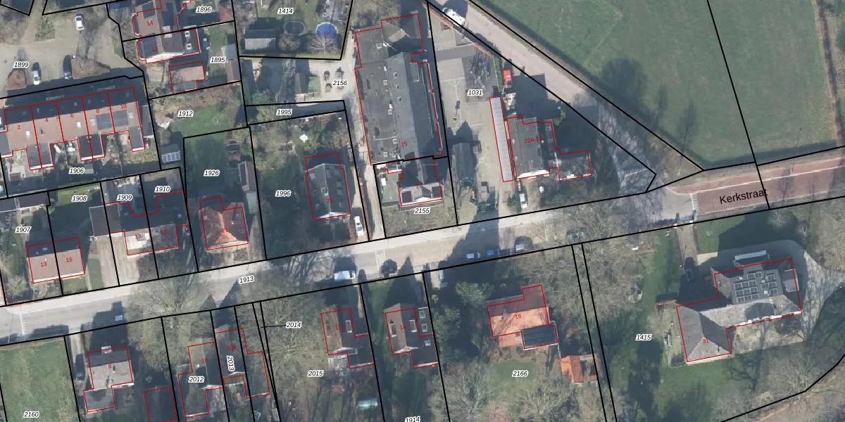
Perceel: VOO00-D-2155
300 m2 - 70 m
Eigenaar opvragen
VOO00-D-2155 (Voorst)
- 7383 CB
oIJ7LfldI2 o31xiSzr3lj Upgrade naar KadastraleKaart Pro
Verkoopprijs opvragen
Bekijk op Street View
Download DWG/DXF/Excel
G0vPbWRQSeKVScpliiwUpgrade naar KadastraleKaart Pro
C1BmKn51TFsbMhNj Opc zUpgrade naar KadastraleKaart Pro
Mk7lMm04AVo zcmq Qb6qhJUpgrade naar KadastraleKaart Pro
iRN G1HlR8V Upgrade naar KadastraleKaart Pro
C1q7DQCcmKbDFB8UEIrDUpgrade naar KadastraleKaart Pro
Mv FbqAAP6wG dYiq3FdPUpgrade naar KadastraleKaart Pro
GszuE254WOAxmDUpgrade naar KadastraleKaart Pro
Ve pceApcn5as5 V5ggOLUpgrade naar KadastraleKaart Pro
no h1vv raUpgrade naar KadastraleKaart Pro
PjQkqg98trlzwg7UfoYUpgrade naar KadastraleKaart Pro
20/12/2022

Percelen
Gebruik de zoekbalk of klik op een perceel om informatie over het perceel te bekijken.