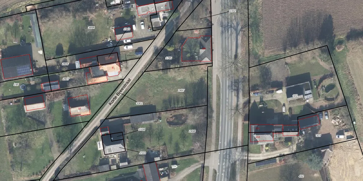
Perceel: VOO00-E-2497
KadastraleKaart.com kan meer dan je denktOntdek meer ›
Filter op bestemming 50+ datasets Eigendomsdata in één klik Percelen CRM
Geen adressen bij dit perceel
1.015 m2 - 154 m
Eigenaar opvragen
VOO00-E-2497 (Voorst)
- Geen postcode aanwezig
uiE7U52E 02DCCmAdlOVGzybUpgrade naar KadastraleKaart Pro
Bekijk op Street View
Download DWG/DXF/Excel
FBDetpwPk T1DtUmaiUpgrade naar KadastraleKaart Pro
ijAGlg uUpgrade naar KadastraleKaart Pro
xiIIbo7qPTaPLUpgrade naar KadastraleKaart Pro
Ize1ZLjO6bUWzFxsXJUmEXrUpgrade naar KadastraleKaart Pro
tRrdv 8S Upgrade naar KadastraleKaart Pro
38 0zNoMNiCxG RKUpgrade naar KadastraleKaart Pro
n j1g zweQIEMceMUpgrade naar KadastraleKaart Pro
fbDv3wr00gy DqBkQtt8fThUpgrade naar KadastraleKaart Pro
7E IByQybbKWaWX6bUjQXUpgrade naar KadastraleKaart Pro
FutbAD2TlVUpgrade naar KadastraleKaart Pro
11/06/2003

Percelen
Gebruik de zoekbalk of klik op een perceel om informatie over het perceel te bekijken.