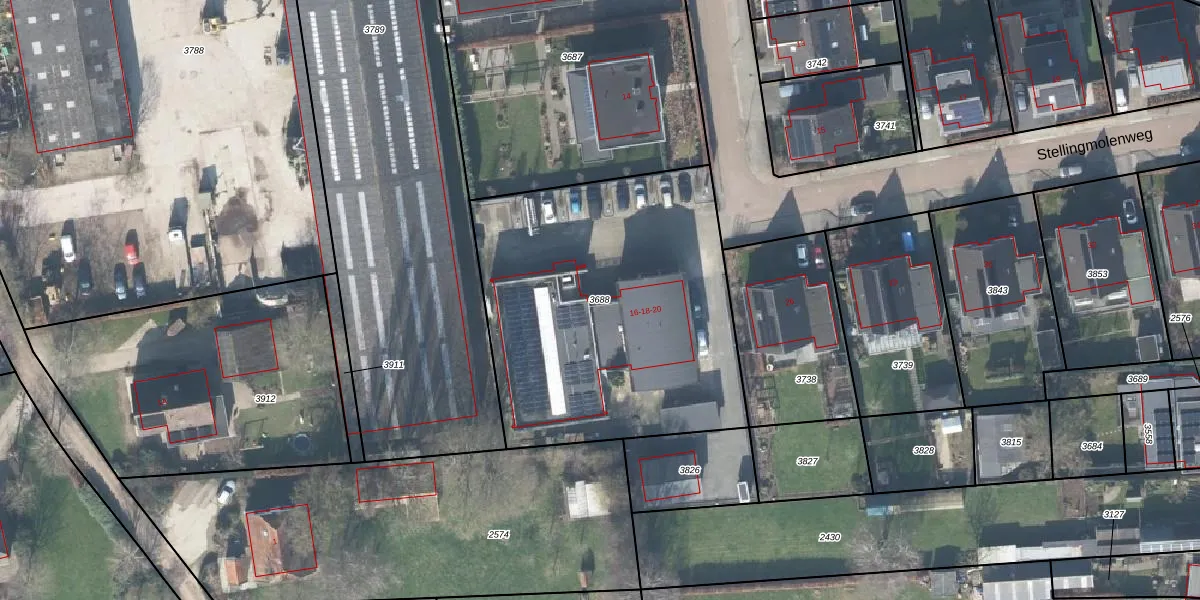
Perceel: VOO00-E-3688
KadastraleKaart.com kan meer dan je denktOntdek meer ›
Filter op bestemming 50+ datasets Eigendomsdata in één klik Percelen CRM
1.755 m2 - 167 m
Eigenaar opvragen
VOO00-E-3688 (Voorst)
- 7383 XV
bJg1dBPQwFe4RaAR6h42jrnUpgrade naar KadastraleKaart Pro
Bekijk op Street View
Download DWG/DXF/Excel
g56Z5ioFRb 1nemGdIUpgrade naar KadastraleKaart Pro
IRiif BGVH5 aSyGUpgrade naar KadastraleKaart Pro
JWQxl1 jrr0hazFGlSg DUpgrade naar KadastraleKaart Pro
oHd4qDw FSq87X1Upgrade naar KadastraleKaart Pro
07VWpbtAUpgrade naar KadastraleKaart Pro
NMUCnP9 lUpgrade naar KadastraleKaart Pro
Mu JUQ0DFF79HUpgrade naar KadastraleKaart Pro
AZybG64IU tUpgrade naar KadastraleKaart Pro
TKkyLNuQUpgrade naar KadastraleKaart Pro
XhQzRulw Upgrade naar KadastraleKaart Pro
21/04/2010

Percelen
Gebruik de zoekbalk of klik op een perceel om informatie over het perceel te bekijken.