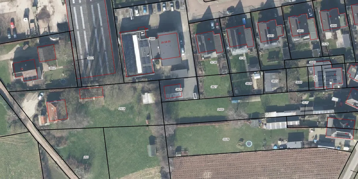
Perceel: VOO00-E-3826
KadastraleKaart.com kan meer dan je denktOntdek meer ›
Filter op bestemming 50+ datasets Eigendomsdata in één klik Percelen CRM
Geen adressen bij dit perceel
266 m2 - 67 m
Eigenaar opvragen
VOO00-E-3826 (Voorst)
- Geen postcode aanwezig
9 ysloeGZLKoAkteoUpgrade naar KadastraleKaart Pro
Bekijk op Street View
Download DWG/DXF/Excel
vrUpysSbHuShfuI37l TyLUpgrade naar KadastraleKaart Pro
kvbia gSUguZUpgrade naar KadastraleKaart Pro
vc bxRHgq iUpgrade naar KadastraleKaart Pro
A0XoCbZGAc81gJxg BAWRUpgrade naar KadastraleKaart Pro
aAXoBN6N3jcgzga54gUUpgrade naar KadastraleKaart Pro
A2tKEjys8qsVuUpgrade naar KadastraleKaart Pro
XvHSgnNyDUpgrade naar KadastraleKaart Pro
ovLiInSO8Upgrade naar KadastraleKaart Pro
DAAwZywoO n BUpgrade naar KadastraleKaart Pro
hFOLS5IUpgrade naar KadastraleKaart Pro
07/03/2016

Percelen
Gebruik de zoekbalk of klik op een perceel om informatie over het perceel te bekijken.