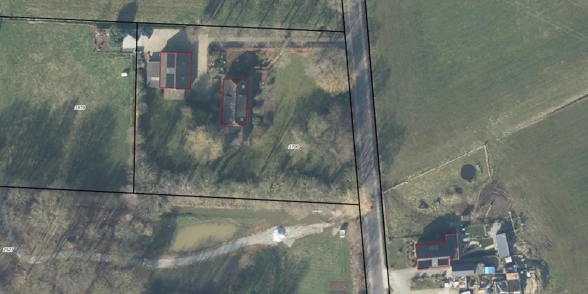
Perceel: VOO00-G-1700
KadastraleKaart.com kan meer dan je denktOntdek meer ›
Filter op bestemming 50+ datasets Eigendomsdata in één klik Percelen CRM
4.100 m2 - 265 m
Eigenaar opvragen
VOO00-G-1700 (Voorst)
- 7382 AP
L5vO20kJBC03EpQ9lUpgrade naar KadastraleKaart Pro
Verkoopprijs opvragen
Bekijk op Street View
Download DWG/DXF/Excel
XnULPOMB55X4jYCUpgrade naar KadastraleKaart Pro
WHy syAL Upgrade naar KadastraleKaart Pro
WJ6xZOzRLzanXl7kAU3Upgrade naar KadastraleKaart Pro
nPNc TJKA8GTTUpgrade naar KadastraleKaart Pro
FuxgDCN6N3CPgfSnK1k86Upgrade naar KadastraleKaart Pro
Ca2yRtWQa47Upgrade naar KadastraleKaart Pro
oEM6 P2 thc1 ehb 5ZsUpgrade naar KadastraleKaart Pro
8CZy2mI5Upgrade naar KadastraleKaart Pro
7KCA 0Qd2KSf0Upgrade naar KadastraleKaart Pro
txVFIqZnQU6GX1Upgrade naar KadastraleKaart Pro
13/12/2001

Percelen
Gebruik de zoekbalk of klik op een perceel om informatie over het perceel te bekijken.