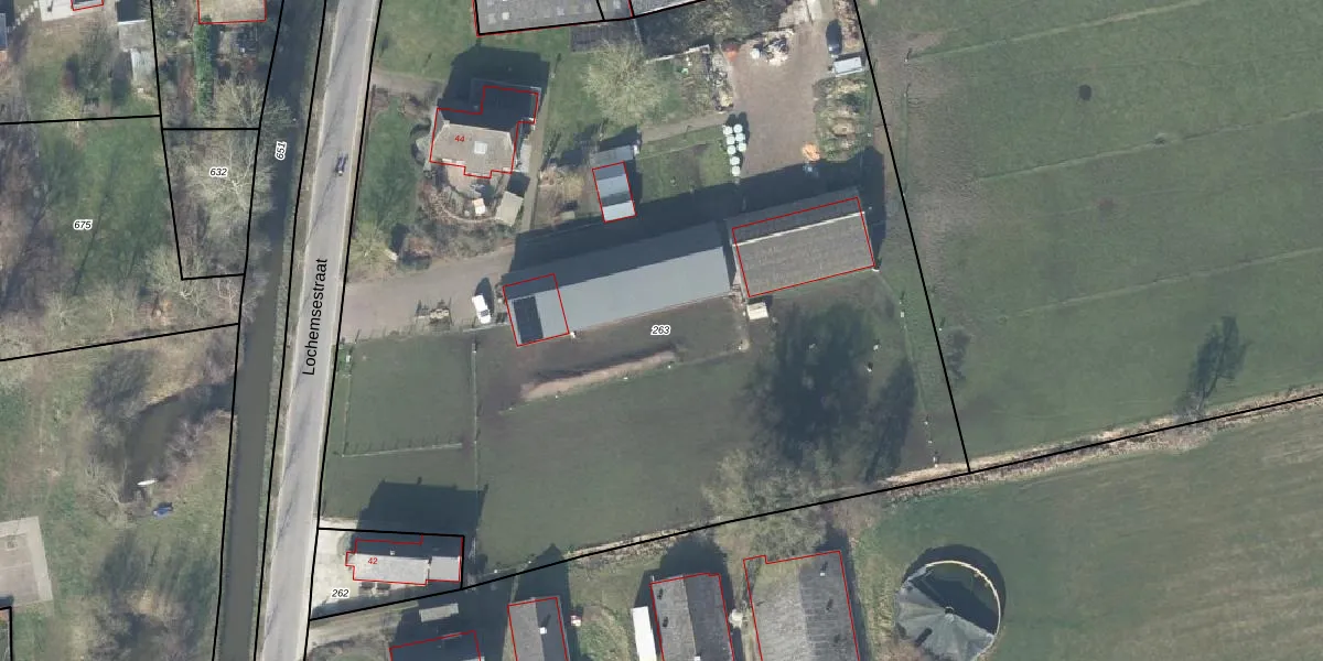
Perceel: VOO00-N-263
KadastraleKaart.com kan meer dan je denktOntdek meer ›
Filter op bestemming 50+ datasets Eigendomsdata in één klik Percelen CRM
7.040 m2 - 364 m
Eigenaar opvragen
VOO00-N-263 (Voorst)
- 7396 PK
B8o2gF4q1xBrxjKPKoiX Upgrade naar KadastraleKaart Pro
Bekijk op Street View
Download DWG/DXF/Excel
hXkuCDqwUpgrade naar KadastraleKaart Pro
9WTtYsh HWXVftzm9yhI3Upgrade naar KadastraleKaart Pro
rpCe dnL6Uu59r64JiAzbUpgrade naar KadastraleKaart Pro
TKrM8ROZjUpgrade naar KadastraleKaart Pro
u2T L2Ee4D 2QzUpgrade naar KadastraleKaart Pro
Rkw4zcaGkKPp5j1UUpgrade naar KadastraleKaart Pro
Pk I 0131EHK7Upgrade naar KadastraleKaart Pro
WHNfw14rY0fZWBW 6DUpgrade naar KadastraleKaart Pro
FoWZLInEtzma GqlzVoF5Upgrade naar KadastraleKaart Pro
v2qM7 tOmUpgrade naar KadastraleKaart Pro
17/10/2023

Percelen
Gebruik de zoekbalk of klik op een perceel om informatie over het perceel te bekijken.