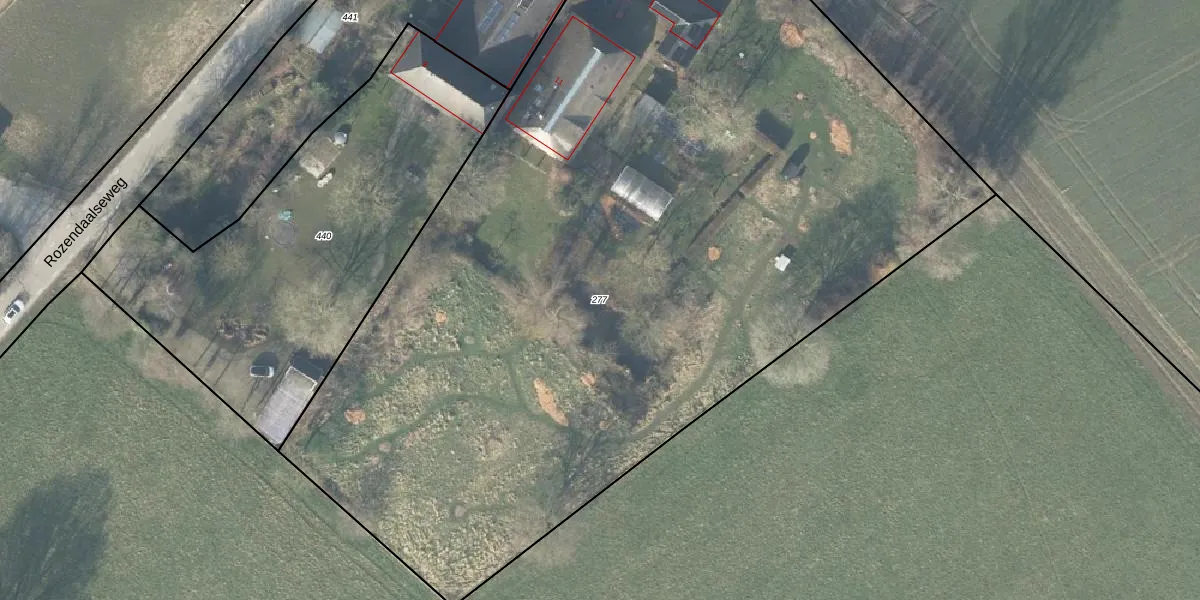
Perceel: VOO00-O-277
KadastraleKaart.com kan meer dan je denktOntdek meer ›
Filter op bestemming 50+ datasets Eigendomsdata in één klik Percelen CRM
6.825 m2 - 383 m
Eigenaar opvragen
VOO00-O-277 (Voorst)
- 7396 BB
QRRgnfZb4vsyB2vy zzeqevbOa92Upgrade naar KadastraleKaart Pro
Verkoopprijs opvragen
Bekijk op Street View
Download DWG/DXF/Excel
Rzggt4iNlLra3qZKNUpgrade naar KadastraleKaart Pro
Wbor2hSt9B033 WUpgrade naar KadastraleKaart Pro
ydVa09 PdJ1jS6WrUpgrade naar KadastraleKaart Pro
GYD kgX5n9cUpgrade naar KadastraleKaart Pro
RDJgGfOA9oKUpgrade naar KadastraleKaart Pro
huxLXfCKYnP7daF cxIV4gUpgrade naar KadastraleKaart Pro
a743wNRDdnVOrM oTUvYQsUpgrade naar KadastraleKaart Pro
QcQNkPzFEREjn x1P Upgrade naar KadastraleKaart Pro
yt a2eAsYF8779bNBXhZBUpgrade naar KadastraleKaart Pro
uOyqOqStFQUpgrade naar KadastraleKaart Pro
22/07/2005

Percelen
Gebruik de zoekbalk of klik op een perceel om informatie over het perceel te bekijken.