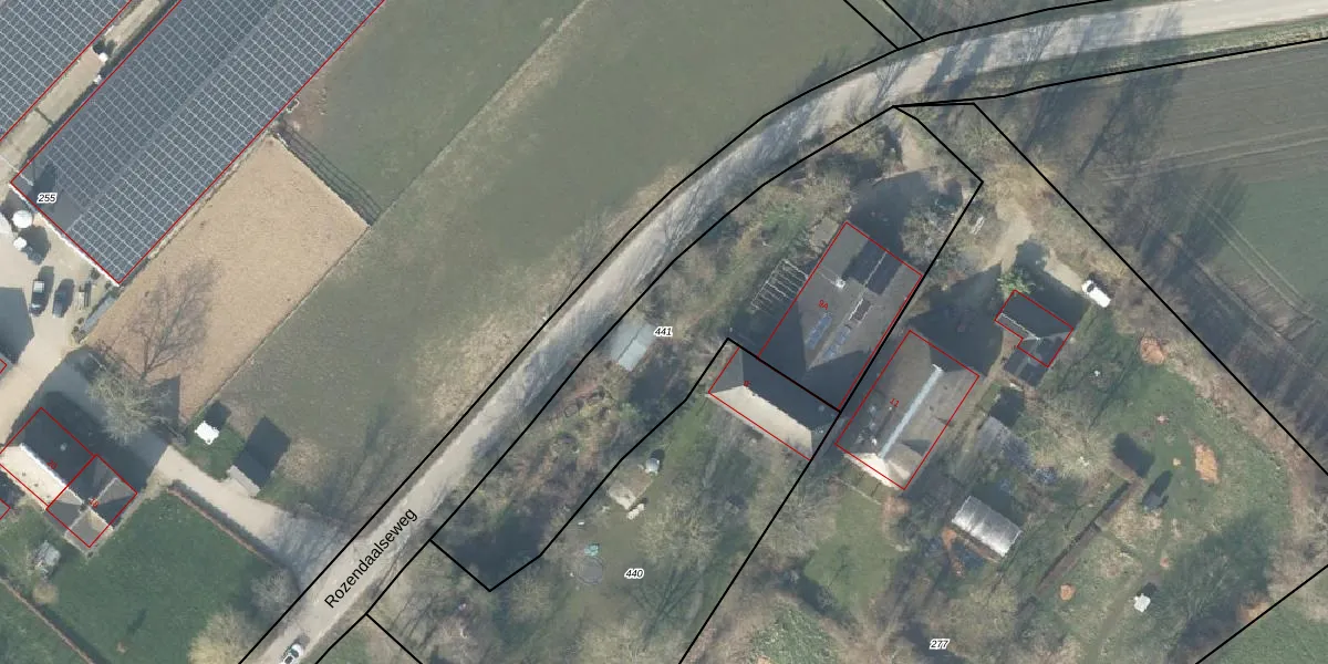
Perceel: VOO00-O-441
KadastraleKaart.com kan meer dan je denktOntdek meer ›
Filter op bestemming 50+ datasets Eigendomsdata in één klik Percelen CRM
1.928 m2 - 240 m
Eigenaar opvragen
VOO00-O-441 (Voorst)
- 7396 BB
BIVh r1fOltFnp 7zHpqCGeUGhQIUpgrade naar KadastraleKaart Pro
Verkoopprijs opvragen
Bekijk op Street View
Download DWG/DXF/Excel
cKG5va2ihWN8m8L0PnAUpgrade naar KadastraleKaart Pro
b GXlCQA74d GZUJ5 e kUpgrade naar KadastraleKaart Pro
0g8zLI OsYpQUpgrade naar KadastraleKaart Pro
wl jZjaFiqsC3HUpgrade naar KadastraleKaart Pro
sD0sKb5V2Upgrade naar KadastraleKaart Pro
at3DVCx1 hc qUpgrade naar KadastraleKaart Pro
n xWVXMTxv2Ftyeb NeCUpgrade naar KadastraleKaart Pro
0Fhe9FQwE4Cf AUpgrade naar KadastraleKaart Pro
wsetmWvja42aj2d hpQaQUpgrade naar KadastraleKaart Pro
o zYrKod4mxIEMOZ Upgrade naar KadastraleKaart Pro
01/11/2001

Percelen
Gebruik de zoekbalk of klik op een perceel om informatie over het perceel te bekijken.