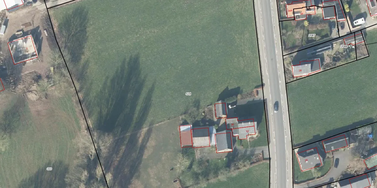
Perceel: VOO00-O-514
KadastraleKaart.com kan meer dan je denktOntdek meer ›
Filter op bestemming 50+ datasets Eigendomsdata in één klik Percelen CRM
15.365 m2 - 516 m
Eigenaar opvragen
VOO00-O-514 (Voorst)
- 7396 BJ
xh ZcjFD0zrgDXBhyZrvfuPwz8SUpgrade naar KadastraleKaart Pro
Bekijk op Street View
Download DWG/DXF/Excel
iQG l UrHEh5Upgrade naar KadastraleKaart Pro
fYZ9 arMzAsmUpgrade naar KadastraleKaart Pro
x nBbSi17cnQsUpgrade naar KadastraleKaart Pro
wspehWdDOi9kGUpgrade naar KadastraleKaart Pro
ADHYYzrEYUpgrade naar KadastraleKaart Pro
ziOOMSlgZTvVbQkrKjUpgrade naar KadastraleKaart Pro
G zpIJ5ASq Uu8kpBUpgrade naar KadastraleKaart Pro
YP3h0KEg007lUpgrade naar KadastraleKaart Pro
CTO5SprTGhohUpgrade naar KadastraleKaart Pro
Hi0zJOCrKb4 U4 z Upgrade naar KadastraleKaart Pro
13/01/2012

Percelen
Gebruik de zoekbalk of klik op een perceel om informatie over het perceel te bekijken.