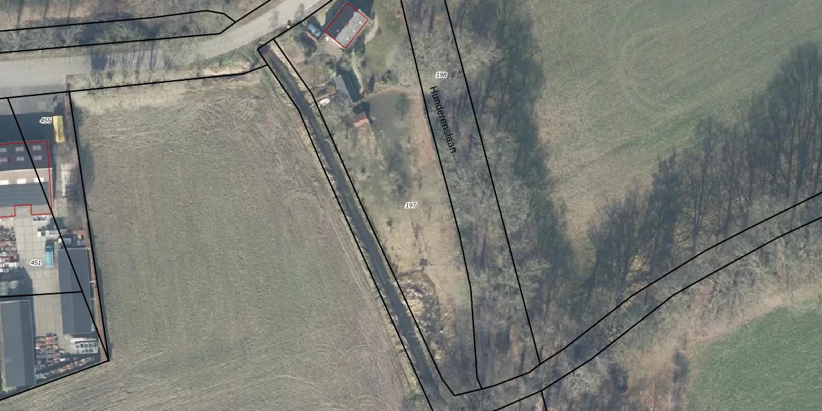
Perceel: VOO00-P-197
2.090 m2 - 244 m
Eigenaar opvragen
VOO00-P-197 (Voorst)
- 7391 TA
2dMiMps mY pQ8sZV 1jUpgrade naar KadastraleKaart Pro
Bekijk op Street View
Download DWG/DXF/Excel
M1u Pvpgmp16jagSE7J1M Upgrade naar KadastraleKaart Pro
HVfcmXEWRjRUpgrade naar KadastraleKaart Pro
8qsfMZ PG0TA dht6ZBB Upgrade naar KadastraleKaart Pro
hbPb dajTUpgrade naar KadastraleKaart Pro
F7pij5 fpnqpQ2We7 QUpgrade naar KadastraleKaart Pro
CGATWMqzue2qRRzE9Upgrade naar KadastraleKaart Pro
RcxH 0 EBBj5 5Upgrade naar KadastraleKaart Pro
j8zTu8Hx7W6pk5 hmiGUpgrade naar KadastraleKaart Pro
KwXdHNlFUpgrade naar KadastraleKaart Pro
zn RNEiw3fOa7ru lGUpgrade naar KadastraleKaart Pro
21/06/2004

Percelen
Gebruik de zoekbalk of klik op een perceel om informatie over het perceel te bekijken.