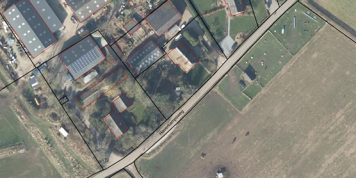
Perceel: VOO00-P-26
1.475 m2 - 162 m
Eigenaar opvragen
VOO00-P-26 (Voorst)
- 7396 BS
NS1Hf SoWMu8UbB k3gUpgrade naar KadastraleKaart Pro
Bekijk op Street View
Download DWG/DXF/Excel
xFmp3TNGkx4Upgrade naar KadastraleKaart Pro
xp2B7rGM5JSjNrDUpgrade naar KadastraleKaart Pro
xqB8ZQ5zWMEjdKKqxPih 0Upgrade naar KadastraleKaart Pro
KP46CP tu fJ57Upgrade naar KadastraleKaart Pro
c0pXkLSRcQsEgmUpgrade naar KadastraleKaart Pro
LWKqhbIBznlWfuTI3vPUpgrade naar KadastraleKaart Pro
Jw DFg F35CpXhYUpgrade naar KadastraleKaart Pro
M4YVYwuJhaL0fEP9ucwwUpgrade naar KadastraleKaart Pro
dShdoSbmJhfgyEB8vhUjXJlUpgrade naar KadastraleKaart Pro
NS3U3 Th q9Upgrade naar KadastraleKaart Pro
21/06/2004

Percelen
Gebruik de zoekbalk of klik op een perceel om informatie over het perceel te bekijken.