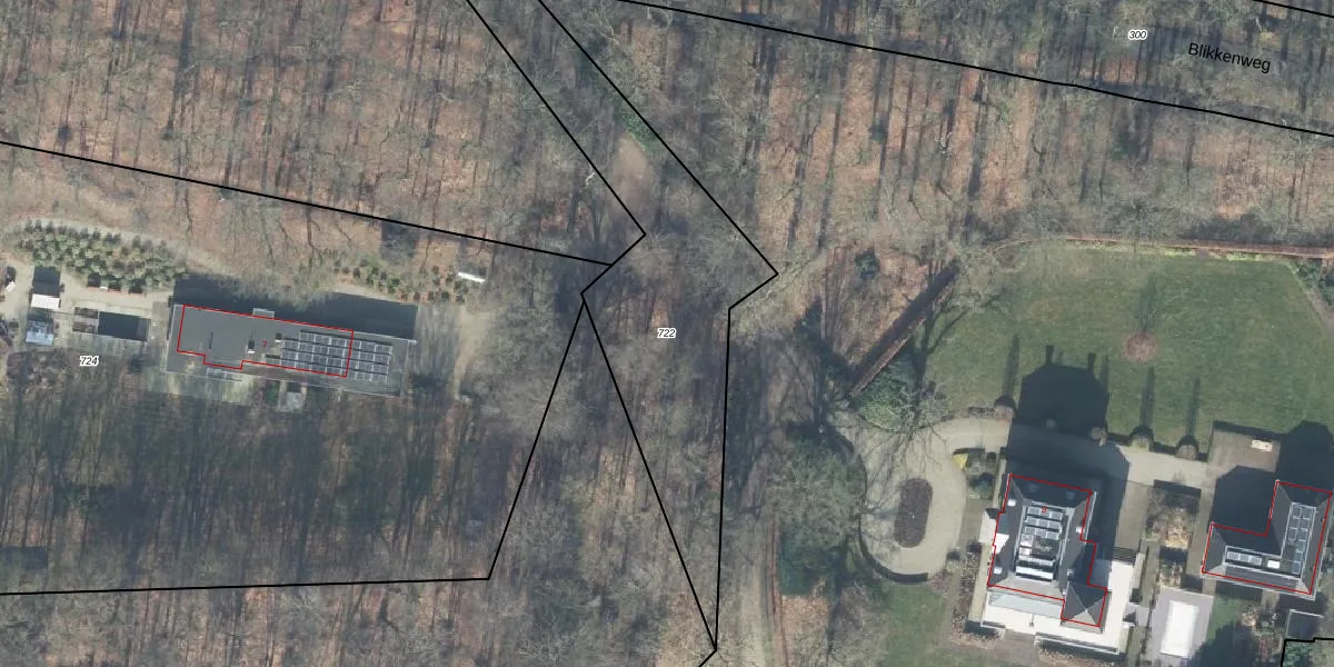
Perceel: VOO00-P-722
Geen adressen bij dit perceel
1.280 m2 - 252 m
Eigenaar opvragen
VOO00-P-722 (Voorst)
- Geen postcode aanwezig
hC7xdgS c3rixlL6qEX1twWdnOjUpgrade naar KadastraleKaart Pro
Bekijk op Street View
Download DWG/DXF/Excel
i3H BGGRIO9Upgrade naar KadastraleKaart Pro
v7VWyP cZUxH tymiCNZLUpgrade naar KadastraleKaart Pro
bQBDuWk R5foSqQc7Upgrade naar KadastraleKaart Pro
KWxrZZ3AVkzuxFqghVBwUpgrade naar KadastraleKaart Pro
oheV8 eLYUpgrade naar KadastraleKaart Pro
KWfzGxrbLLLM qn8OLUpgrade naar KadastraleKaart Pro
sHG0FGFyQ7ZUpgrade naar KadastraleKaart Pro
ZsXjZL xywUBU vz JwUpgrade naar KadastraleKaart Pro
iDNoT q243F9 2sOxaUpgrade naar KadastraleKaart Pro
rng4vRiZBrG NN2Hbk7S YUpgrade naar KadastraleKaart Pro
21/06/2019

Percelen
Gebruik de zoekbalk of klik op een perceel om informatie over het perceel te bekijken.