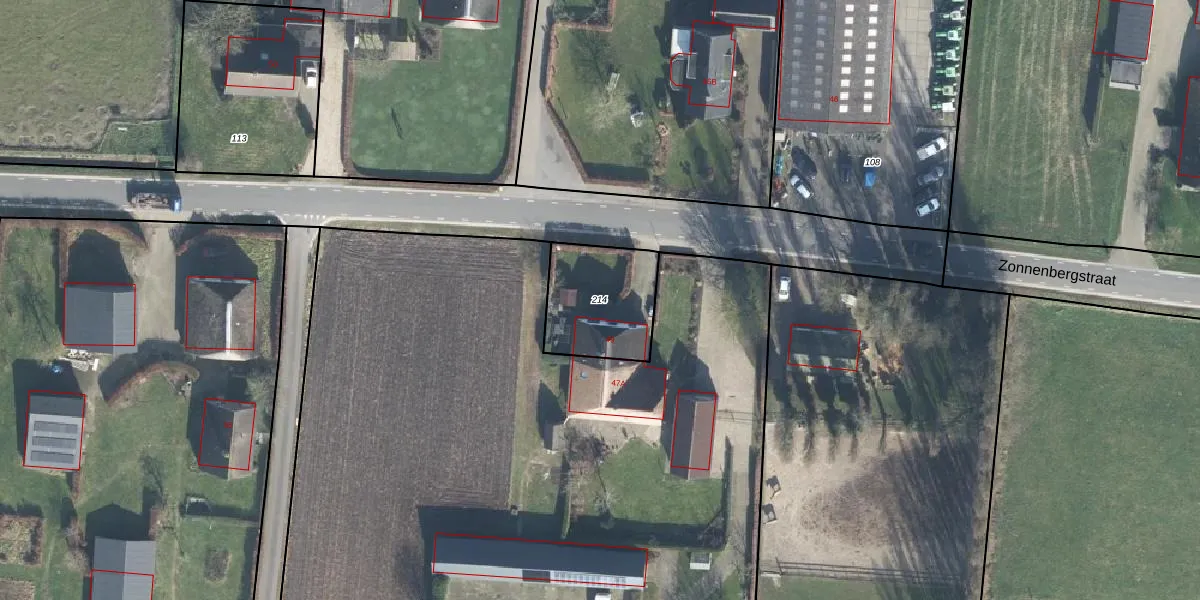
Perceel: VOO00-Q-214
KadastraleKaart.com kan meer dan je denktOntdek meer ›
Filter op bestemming 50+ datasets Eigendomsdata in één klik Percelen CRM
335 m2 - 73 m
Eigenaar opvragen
VOO00-Q-214 (Voorst)
- 7384 DL
UtjlL RqTv 1bR8k3p um4v9VaNPUpgrade naar KadastraleKaart Pro
Verkoopprijs opvragen
Bekijk op Street View
Download DWG/DXF/Excel
f2qvQL8Brezw7io1zmUpgrade naar KadastraleKaart Pro
fj64zNQTktQNIRs7 iZmVUpgrade naar KadastraleKaart Pro
HSfMwRr2Upgrade naar KadastraleKaart Pro
DR76K9lCUpgrade naar KadastraleKaart Pro
vaowkS7B7Upgrade naar KadastraleKaart Pro
slSNwdAcIwfhUpgrade naar KadastraleKaart Pro
4GqAvU zrXl5zUpgrade naar KadastraleKaart Pro
S3ow8ek16 zfFe JFfiUpgrade naar KadastraleKaart Pro
60j4 PwSO2 DKVcAAec pUpgrade naar KadastraleKaart Pro
88JAqpyhUPrUpgrade naar KadastraleKaart Pro
05/11/2001

Percelen
Gebruik de zoekbalk of klik op een perceel om informatie over het perceel te bekijken.